Jahresrückblick 2019 von
Thomas Sävert
Tropische Wirbelstürme mit großen Schäden

Mit einer weltweiten Schadensumme von rund 150 Milliarden US-Dollar (davon 52 Milliarden US-Dollar versichert) fiel das Naturgewaltenjahr 2019 in etwa durchschnittlich aus. Im Vorjahr lag die Gesamtschadensumme bei etwa 160 Milliarden US-Dollar. Im Mittel der vergangenen 30 Jahre lagen die Gesamtschäden bei 140 Mrd. US-Dollar (davon versichert 41 Mrd.). Durch Naturkatastrophen kamen 2019 nach Angaben des Rückversicherers Munic Re weltweit etwa 9.000 Menschen ums Leben (Vorjahr: 15.000). Das sind deutlich weniger als im 30-Jahres-Mittel (52.000). Der Rückgang der Opferzahlen in den vergangenen Jahren ist unter anderem auf bessere Vorbeugung zurückzuführen und in 2019 fehlten


Übersicht der weltweiten Schadenereignisse 2019, Quelle: Munich Re


Die teuersten Naturkatastrophe 2019 waren zwei Taifune, die auf den Großraum Tokio in Japan trafen, nachdem bereits ein Jahr zuvor das Land schwer getroffen wurde. Innerhalb von etwa sechs Wochen überquerten die beiden Taifune HAGIBIS und FAXAI Teile der japanischen Hauptinsel Honschu und richteten Schäden von etwa 26 Milliarden US-Dollar an, davon waren etwa 17 Milliarden versichert. Der Großteil der Schäden durch Hagibis trat durch heftige Regenfälle mit schweren Überschwemmungen, Deichbrüchen und Erdrutschen auf. Stellenweise kamen innerhalb von nur 48 Stunden rund 1000 Liter Regen pro Quadratmeter zusammen - fast die Hälfte des durchschnittlichen Jahresniederschlages. Zum Vergleich: Dies entspricht etwa der Menge, die in Berlin im Mittel in zwei Jahren fällt. Beim Durchzug des Taifuns FAXAI richtete vor allem der Sturm schwere Schäden an. Die meisten Toten durch eine Naturkatastrophe gab es im März, als durch den Zyklon IDAI mehr als 1000 Menschen in Mosambik, Malawi, Zimbabwe und Südafrika ums Leben kamen. Anfang September verwüstete der Hurrikan DORIAN die beiden Bahamasinseln Abaco Island und Grand Bahama. Offiziell wurden 65 Tote gemeldet, die genaue Zahl der Toten wird vielleicht nie ermittelt. In Deutschland machten vor allem extreme Hitze und Trockenheit Schlagzeilen.

Das Wetterjahr 2019 in Deutschland


© by Achim Otto.



© Bernd Hussing, http://www.bernd-hussing.de/klima.htm



© Bernd Hussing, http://www.bernd-hussing.de/klima.htm


In Deutschland war das Jahr 2019 das bisher drittwärmste Jahr seit Beginn der regelmäßigen Wetteraufzeichnungen, übertroffen nur von den Jahren 2018 und 2014. Verbreitet war das Jahr sonnenscheinreich und deutlich trockener als im Mittel. Gegenüber dem Mittel der Jahre 1961 bis 1990 lagen die Temperaturen 1,5 bis fast 3 Grad höher, wobei die größten Abweichungen im Osten und Nordosten des Landes verzeichnet wurden. Deutschlandweit lag das Flächenmittel der Temperatur in 2019 bei knapp 10,3 Grad, im Mittel sind es 8,2 Grad. Im Vergleich zur wärmeren Periode 1981 bis 2010 war es immer noch 1,3 Grad wärmer. In Erinnerung bleibt vor allem die Hitze Ende Juli, als an mindestens 23 Wetterstationen die 40-Grad-Marke geknackt wurde. Der am 25. Juli in Lingen im Emsland aufgestellte Rekord von 42,6 Grad führte allerdings zu Diskussionen um den Standort und wurde auch von vielen Wissenschaftlern angezweifelt. Kalt war es dagegen Ende Januar und am 21. Januar wurden in Deutschneudorf-Brüderwiese (Sachsen) -18,6 Grad gemessen.


© Bernd Hussing, http://www.bernd-hussing.de/klima.htm


Besonders trocken fiel das Jahr 2019 in Thüringen und Sachsen aus. Im Thüringer Becken kamen gebietsweise nur 350 Liter Regen pro Quadratmeter zusammen, was etwa zwei Dritteln des langjährigen Mittels entspricht. Nasser als im Mittel war es an der Nordsee und in den Alpen.


© Bernd Hussing, http://www.bernd-hussing.de/klima.htm


Im Flächenmittel gab es im Jahr 2019 etwa 1800 Sonnenstunden und damit deutlich mehr als im langjährigen Mittel. Besonders viel Sonnenschein gab es in einem breiten Streifen von Rheinland-Pfalz und dem Saarland bis in den Osten Deutschlands.

Das Wetterjahr 2019 startete mit einer Nordwestwetterlage, mit der Tiefausläufer gegen die Alpen und die östlichen Mittelgebirge gesteuert wurden und sich dort stauten. Die länger andauernden Schneefälle brachten zum Teil markante Neuschneemengen und in den Nordalpen musste die zweithöchste Lawinenwarnstufe ausgerufen werden. Zahlreiche Dächer mussten freigeschaufelt werden, um einen Einsturz zu verhindern. Im Laufe des Februars stellte sich eine anhaltende Hochdruckwetterlage ein, verbunden mit sehr milder Luft und Temperaturen bis über 20 Grad zum Ende des Monats. Am 04. März wurden einzelne Rosenmontagsumzüge wegen Sturmgefahr abgesagt. Genau eine Woche später fegte der Sturm "Eberhard" vor allem über die zentralen Regionen Deutschlands hinweg. Mit Böen bis Orkanstärke und einigen Schäden war es in Deutschland der stärkste Sturm des Jahres 2019.


© by Frank Kuhn, Wiesbaden-Naurod


Im April beherrschte hoher Luftdruck über weite Strecken die Wetterlage und es blieb meist trocken und warm mit einem kurzzeitigen Kaltlufteinbruch zur Monatsmitte. Am 24. April stellte sich die erste größere Gewitterlage ein mit teils schweren Sturmböen. Späte Fröste gab es Anfang Mai, der insgesamt wechselhaft ausfiel. Auf der Zugspitze wurde zum Monatsende mit 6,45 Metern die höchste Schneedecke seit fast 40 Jahren registriert. Erste Hitzewellen mit Temperaturen bis über 35 Grad stellten sich im Juni ein. Am 10. Juni richtete ein Hagelunwetter bei München erhebliche Schäden an Autos und Gebäuden an. Vor allem die zweite Julihälfte brachte extreme Hitze mit Temperaturen bis über 40 Grad. Am 25. Juli wurde der bisherige Temperaturrekord gleich an mehreren Stationen gebrochen. Auch der August war überwiegend warm bis heiß, unterbrochen von Gewitterlagen wie am 18. mit schweren Gewittern und lokalen Böen bis Orkanstärke.


© by Achim Otto


Der September brachte den Wetterumschwung mit lang ersehntem Regen, der aber nicht flächendeckend und ausreichend fiel. Am 08./09. September zog ein so genanntes Vb-Tief von Norditalien über die Alpen nach Polen und im Osten Deutschlands fielen regional bis über 70 Liter Regen pro Quadratmeter innerhalb von nur 24 Stunden. Am 30. September gab es vor allem im Nordosten Sturmschäden durch den Herbststurm "Mortimer". Der Herbst selbst fiel dann nasser und wechselhaft aus. Das Jahr endete alles andere als winterlich. In tiefen Lagen wurde bis Ende Dezember vielfach kein Schnee beobachtet.


© by Thomas Sävert. Starker F2-Tornado am 04.06.2019 in Bocholt in NRW mit großen Schäden.


Das Tornadojahr 2019 war in Deutschland deutlich aktiver als das Vorjahr, als wochenlange Hochdruckwetterlagen die Entstehung von Tornados unterdrückten. Insgesamt sind bisher (Stand 08.01.2020) 32 Tornados bestätigt, dazu kommen 10 plausible Fälle, in denen ein Tornado sehr wahrscheinlich ist. Aus dem Vorjahr sind bislang 27 bestätigte oder plausible Tornados in Deutschland registriert. Im Jahr 2019 sind derzeit 147 Verdachtsfälle bekannt. Die Zahl der bestätigten Tornados kann noch weiter ansteigen.

© by Joachim Wynands, Feuerwehr Roetgen. Starker F3-Tornado am 13.03.2019 bei Roetgen in NRW mit großen Schäden an Häusern und in Wäldern.


Der stärkste Tornado trat bereits am 13. März im Raum Aachen auf mit der Stärke F3 und Windgeschwindigkeiten zwischen 250 und 300 km/h. Dazu kommt ein Tornado der Stärke F2, durch den am späten Abend des 04. Juni in der Stadt Bocholt (NRW) unter anderem ein PKW abhob und auf dem Dach landete. Die Schäden durch diese beiden Tornados lagen im siebenstelligen Bereich. Im langjährigen Mittel gehen wir von 30 bis 60 Tornados pro Jahr in Deutschland aus, wobei die Zahlen von Jahr zu Jahr stark schwanken. Ein Tornado der Stärke F3 kommt etwa alle zwei Jahre vor, F2-Tornados im Schnitt etwa fünf pro Jahr. Eine genaue Statistik gibt es derzeit noch nicht. Erst seit der Jahrtausendwende wird in privater Initiative wieder Tornadoforschung in Deutschland betrieben, für eine genaue Statistik reicht dies noch nicht aus.


Europaweit wurden 2019 mehr als 750 Tornados gemeldet und damit deutlich mehr als in den Vorjahren. Die meisten Tornados wurden im Mittelmeerraum beobachtet, ein weiterer Schwerpunkt lag in den Beneluxstaaten. Recht wenige Tornados traten in Südwesteuropa auf. Aus Portugal wurde kein einziger Tornado gemeldet, aus Irland nur ein bestätigter Fall.


© by SPC. Zahl der Tornados in den USA im Jahre 2019 im Vergleich zu vergangenen Jahren.



© by SPC. Tägliche Zahl der Tornados in den USA im Jahre 2019.


In den USA fiel die Tornadosaison 2019 stärker aus als im langjährigen Mittel. Mit vorläufig 1600 Tornados liegt die Zahl über dem Schnitt von etwa 1300 Fällen. Die Tornados waren über das ganze Jahr verteilt, wobei der Schwerpunkt in den Monaten April und Mai gab. Einzelne Tornadoausbrüche wurden auch Anfang März, im Juni und im Oktober verzeichnet.


© by NOAA. Oceanic Nino Index (OCI), Dreimonatsmittel, Quelle: CPC/NOAA


Im Winter 2018/19 stellte sich im tropischen Pazifik ein schwaches El Niño-Ereignis ein mit erhöhten Wassertemperaturen im zentralen und östlichen tropischen Pazifik. Im Laufe des Sommers kühlte sich der Ozean hier wieder ab und es stellten sich weitgehend neutrale Verhältnisse ein. Damit blieb auch der Einfluss auf die Hurrikanentstehung auf dem Nordatlantik eher gering.


© by NASA. Rauchwolken im Juli 2019 in Alaska.


Auch im Jahr 2019 gingen Bilder von großen Wald- und Buschbränden um die Welt. Betroffen waren im Sommer auch Teile Deutschlands. Riesige Brände breiteten sich unter anderem in Alaska, Südamerika, Kalifornien und zum Jahresende in Australien aus. Dort wurden im Dezember Rekordtemperaturen bis etwa 50 Grad gemessen. Bereits im Februar traten nach längerer Trockenheit große Brände im Vereinigten Königreich auf.


© by NHC. Die Karte zeigt die Zugbahnen aller Atlantikstürme im Jahre 2019.


Die nordatlantische Hurrikansaison 2019 brachte deutlich mehr Stürme hervor, als im langjährigen Mittel zu erwarten sind. Davon blieben einige auf dem offenen Atlantik, mehrere trafen aber auf das amerikanische Festland, auf die Bahamas und die Azoren mit teils verheerenden Folgen. Zahlreiche Menschen kamen vor allem auf den Bahamas ums Leben. Insgesamt wurden 18 Tropische Stürme registriert, dazu kamen zwei Tropische Depressionen, die sich nicht zu einem Sturm verstärken konnte. Von den 18 Stürmen verstärkten sich 6 Stürme zu Hurrikanen, von denen drei die Stufe 3 oder mehr auf der Saffir-Simpson-Hurrikanskala erreichten. Im langjährigen Mittel werden 11 Stürme beobachtet, davon 6 Hurrikane, von denen 2 bis 3 zu starken Hurrikanen werden.


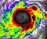
© by NASA. Der Hurrikan DORIAN aus Sicht der ISS.


Die Hurrikansaison 2019 startete sehr früh und bereits im Mai bildete sich auf dem Atlantik der Sturm ANDREA, der allerdings nicht rein tropische Eigenschaften aufwies. Mitte Juli folgte mit BARRY der erste Hurrikan der Saison, durch den es Überschwemmungen in den US-Bundesstaaten Texas und Louisiana gab.

Der stärkste Hurrikan des Jahres traf Ende August / Anfang September auf die nördlichen Bahamas. DORIAN erreichte die höchste Kategorie 5 der Hurrikanskala mit mittleren Windgeschwindigkeiten bis nahe 300 km/h. Einzelne Inseln wurden praktisch komplett verwüstet, die Zahl der Toten steht bis heute nicht genau fest. Mitte September streifte der starke Hurrikan HUMBERTO Bermuda und richtete hier einige Schäden an.

Bemerkenswert war auch der kleine Tropensturm IMELDA, der sich Mitte September direkt vor der Küste des US-Bundesstaates Texas bildete und sehr langsam an Land zog. Innerhalb weniger Tage fielen hier gebietsweise mehr als 1000 Liter Regen pro Quadratmeter - mit entsprechenden Folgen. Sehr auffällig war auch die große Zahl an Stürmen und Hurrikanen auf dem Ostatlantik, mehrfach wurden die Azoren gestreift oder sogar voll getroffen. Der Hurrikan LORENZO erreichte Ende September sogar die Kategorie 5 mit mittleren Windgeschwindigkeiten bis etwa 260 km/h. Unter Abschwächung erreichte er die westlichsten Azoren mit Windgeschwindigkeiten bis Orkanstärke.


Es folgt eine Übersicht mit allen Tropischen Depressionen, Tropischen Stürmen und Hurrikanen der nordatlantischen Hurrikansaison 2019:

Nr. TS/H Name Kat. Zeit Wind Druck Landfall Tote Schäden
1 ST.S. ANDREA - 20.05.-21.05. 65  1006  --- --- ---
2 H Barry 1 11.07.-15.07. 120  991  Louisiana, Texas n.bek. 600 Mio. US-Dollar
3 T.D. Three - 22.07.-23.07. 55  1013  --- n.bek. n.bek.
4 T.S. Chantal - 21.08.-23.08. 65  1009  --- --- ---
5 H Dorian 5 24.08.-07.09. 295  910  Bahamas, North Carolina, Nova Scotia mindestens 63 >8.3 Mard. US-Dollar
6 T.S. Erin - 26.08.-29.08. 65  1005  --- --- ---
7 T.S. Fernand - 03.09.-04.09. 80  1000  Nordostmexiko 1 über 200 Mio. US-Dollar
8 T.S. Gabrielle - 03.09.-10.09. 95  995  --- n.bek. n.bek.
9 H Humberto 3 13.09.-19.09. 205  951  (Bermuda gestreift) 1 n.bek.
10 T.S. Imelda - 17.09.-19.09. 65  1005  Texas 4 über 2 Mrd. US-Dollar
11 H Jerry 2 17.09.-25.09. 165  976  --- n.bek. n.bek.
12 T.S. Karen - 22.09.-27.09. 75  1002  Kleine Antillen, Puerto Rico n.bek. n.bek.
13 H Lorenzo 5 22.09.-02.10. 260  925  Azoren 16 360 Mio. US-Dollar
14 T.S. Melissa - 11.10.-14.10. 100  995  --- --- ---
15 T.D. Fifteen - 14.10.-16.10. 55  1006  Kapverden n.bek. n.bek.
16 T.S. Nestor - 18.10.-19.10. 95  996  Nordwestflorida n.bek. 150 Mio. US-Dollar
17 T.S. Olga - 25.10.-25.10. 65  998  Louisiana 1 100 Mio. US-Dollar
18 H Pablo 1 25.10.-28.10. 130  977  --- n.bek. n.bek.
19 ST.S. Rebekah - 30.10.-01.11. 75  987  --- --- ---
20 T.S. Sebastien - 19.11.-24.11. 90  993  --- --- ---
(Alle Angaben ohne Gewähr; T.D. = Tropische Depression / hat keine Sturmstärke erreicht, T.S. = Tropischer Sturm; Kategorie nach der Saffir-Simpson-Skala, maximaler Mittelwind in km/h, Druck = tiefster festgestellter Luftdruck im Zentrum in Hektopascal).


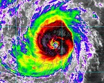
© by NASA. Hurrikan "Barbara" auf dem Nordostpazifik am 03.07.2019.


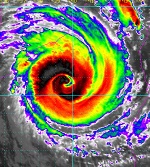
© by Tropical Tidbits. Hurrikan "Douglas" auf dem Nordostpazifik am 23.07.2020.

Auf dem Nordostpazifik bildeten sich in der Hurrikansaison 2019 insgesamt 17 Stürme und damit weniger als im Vorjahr (21). Sieben Stürme verstärkten sich zu Hurrikanen, davon 4 zu starken Hurrikanen ab Kategorie 3 der fünfteiligen Hurrikanskala. Betrachtet man die gesamte Energie der Stürme im Jahr 2018 ("Accumulated Cyclone Energy"), lag das Jahr 2019 etwas unter dem langjährigen Mittel. Der stärkste Hurrikan war BARBARA, der sich Ende Juni weit vor der mexikanischen Westküste bildete und sich Anfang Juli zu einem starken Hurrikan mit mittleren Windgeschwindigkeiten bis etwa 250 km/h verstärkte. Im September traf der Hurrikan LORENA auf die Küste von Mexiko und hinterließ einige Schäden. Nach Medienberichten soll ein Mann bei der Rettung seines Sohnes ums Leben gekommen sein. Insgesamt war es auf dem Nordostpazifik eine durchschnittliche Saison (Mittel: 15 Stürme, davon 8 Hurrikane, 4 starke Hurrikane).


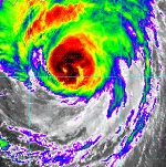
© by NASA. Supertaifun "Hagibis" vor Japan am 11.10.2019.

Die Taifunsaison 2019 war die teuerste seit Beginn der regelmäßigen Aufzeichnungen. Insgesamt gab es 2019 insgesamt 29 Stürme und damit so viele wie im Vorjahr. Das langjährige Mittel von 26 Stürmen wurde leicht übertroffen. Die meisten Stürme und Taifune bildeten und verstärkten sich im Bereich östlich der Philippinen. Sie zogen von dort aus nach Nordwesten und einige trafen Japan. Von den 29 Stürmen wurden 17 (Vorjahr 16) zu Taifunen mit mittleren Windgeschwindigkeiten von 120 km/h und mehr, davon wiederum wurden 4 (Vorjahr 9) zu starken Taifunen mit 185 km/h und mehr. Schwere Verwüstungen gab es unter anderem durch die beiden Taifune HAGIBIS und FAXAI in Japan.


© by USGS. Schweres Erdbeben am 26.05.2019 in Südamerika.

Im Jahr 2019 wurden insgesamt 9 Erdstöße der Stärke 7,0 oder mehr registriert, das sind deutlich weniger als im Vorjahr (16). Das stärkste Beben ereignete sich am 26. Mai in Südamerika mit der Stärke 8,0. Das Epizentrum lag im Norden Perus, etwa 90 Kilometer östlich der Stadt Yurimaguas (ca. 60.000 Einwohner). Der Erdbebenherd befand sich 100 bis 110 Kilometer unter der Oberfläche. Wegen der enormen Stärke des Bebens traten trotz der großen Herdtiefe erhebliche Schäden in den umliegenden Städten in Peru und Ecuador auf, nach Medienmeldungen gab es mindestens zwei Tote und zahlreiche Verletzte. Der Erdstoß am 26. Mai 2019 war der stärkste in der Region im Norden Perus seit Beginn der Aufzeichnungen vor mehr als 100 Jahren und der schwerste im Landesinnern Südamerikas seit 25 Jahren. Damals erschütterte ein Beben der Stärke 8,2 Bolivien, der Erdbebenherd lag allerdings in mehr als 600 Kilometer Tiefe. Die meisten Toten gab es durch ein schweres Erdbeben in Albanien, bei dem am 26. November mindestens 52 Menschen starben.


Links zum Erdbebenjahr 2018:
Jahresrückblick: Die Erdbeben in Deutschland 2018


© by NASA. White Island im Norden von Neuseeland.

Vor allem zwei Vulkane machten im Jahr 2019 Schlagzeilen: Anfang Juli versetzte ein stärkerer Ausbruch des nahezu daueraktiven Vulkans Stromboli vor Süditalien viele Touristen in Panik. Nach Medienberichten gab es einen Toten und einige Verletzte. Im Dezember brach der Vulkan auf White Island vor der Nordinsel Neuseelands aus, während Besuchergruppen vor Ort waren. Von den 47 Menschen auf der sonst unbewohnten Insel kamen mindestens 17 ums Leben, zwei weitere wurden nicht gefunden und es gab zahlreiche Schwerstverletzte. Es kamen Diskussionen über die den Aufenthalt in aktiven Vulkanen sowie den Katastrophentourismus auf.

Im Rahmen des etwa 11jährigen Sonnenfleckenzyklus war die Sonne im Jahr 2019 sehr wenig bis gar nicht aktiv. Der bisherige Zyklus schwächte sich immer weiter ab, zeitweise konnten gar keine Sonnenflecken beobachtet werden. Im deutschsprachigen Raum konnte in 7 (Vorjahr: 13) Nächten Polarlicht visuell beobachtet oder fotografisch nachgewiesen werden. Die Polarlichtereignisse waren allerdings nur schwach und kaum mit dem bloßen Auge zu beobachten.


Herausragende Klimaabweichungen und Wetterereignisse 2019 (Quelle: NOAA, ca. 612 KB)


Einzelne besondere Ereignisse

Nachfolgend werden einige ausgewählte Naturkatastrophen des Jahres 2019 aufgelistet. Dazu gibt es jeweils einen Hinweis auf die zugehörige Internetseite mit weiteren Informationen.

Neuseeland Vulkanausbruch in Neuseeland

Im Dezember 2019 kamen bei einem Ausbruch des Vulkans auf White Island im Norden Neuseelands 19 Menschen ums Leben. Es folgten Diskussionen über unvorsichtigen Tourismus im Bereich aktiver Vulkane. MEHR

Taifun Kammuri Taifun Kammuri erreicht Philippinen

Anfang Dezember traf der Taifun KAMMURI auf die zentralen Teile der Philippinen. Die mittleren Windgeschwindigkeiten reichten bis etwa 215 km/h mit noch deutlich stärkeren Böen, die auf bis zu 260 km/h geschätzt wurden. Neben den Schäden durch den Wind gab es Überschwemmungen und Erdrutschen durch heftige Regenfälle. MEHR

Albanien Schweres Erdbeben in Albanien

(Dienstag, 26.11.19) Am Dienstag hat gegen 03:54 Uhr MEZ (= Ortszeit) ein schweres Erdbeben Teile des Balkans erschüttert. Das Beben erreichte nach vorläufigen Angaben des amerikanischen Erdbebendienstes die Stärke 6,4. Das Epizentrum lag bei der albanischen Stadt Durrës (ca. 122.000 Einwohner) und etwa 30 Kilometer westlich der albanischen Hauptstadt Tirana (ca. 375.000 Einwohner). Der Erdbebenherd befand sich 10 bis 20 Kilometer unter der Oberfläche. Nach Medienmeldungen gab es in Teilen Albaniens erhebliche Schäden mit einigen eingestürzten Gebäuden. Dabei kamen einige Menschen ums Leben und Hunderte wurden verletzt. MEHR

Indonesien Erneut schweres Erdbeben in Indonesien

(Donnerstag, 14.11.19) Am Donnerstag hat gegen 17:17 Uhr MEZ (= 01:17 Uhr Ortszeit am Freitag) erneut ein schweres Erdbeben Teile Indonesiens erschüttert. Das unterseeische Beben erreichte nach vorläufigen Angaben des amerikanischen Erdbebendienstes die Stärke 7,1. Das Epizentrum lag in der Molukkensee, etwa 140 Kilometer nordwestlich der Stadt Ternate (ca. 102.000 Einwohner) vor der Westküste der Insel Halmahera und etwa 175 Kilometer östlich der Stadt Manado (ca. 450.000 Einwohner) auf der Insel Sulawesi. Der Erdbebenherd befand sich 40 bis 50 Kilometer unter der Oberfläche. Nach Medienmeldungen gab es einige, meist leichtere Schäden auf den umliegenden Inseln und ein kleiner Tsunami wurde registriert. Erst im Juli 2019 hatten zwei Erdstöße der Stärke 6,9 und 7,3 vor allem die Stadt Ternate westlich der Insel Halmahera erschüttert. MEHR

Südatlantik Starkes Erdbeben im Iran

(Freitag, 08.11.19) In der Nacht zum Freitag hat gegen 23:47 Uhr MEZ (= 02:17 Uhr Ortszeit) ein starkes Erdbeben den Nordosten des Irans erschüttert. Das Beben erreichte nach vorläufigen Angaben des amerikanischen Erdbebendienstes die Stärke 5,9. Das Epizentrum lag etwa 80 Kilometer südwestlich von Ardabil (ca. 410.000 Einwohner). Der Erdbebenherd befand sich rund 10 Kilometer unter der Oberfläche. Es wurden einige Tote und erhebliche Schäden gemeldet. MEHR

Schwäbische Alb Leichtes Erdbeben auf der Schwäbischen Alb

(Montag, 04.11.19) In der Nacht zum Montag hat gegen 02:00 Uhr MEZ ein leichtes Erdbeben die Schwäbische Alb im Südwesten Deutschlands erschüttert. Das Beben erreichte nach unterschiedlichen Angaben der Erdbebendienste etwa die Stärke 3,9. Das Epizentrum lag bei Albstadt (ca. 47.000 Einwohner). Der Erdbebenherd befand sich 7 bis 11 Kilometer unter der Oberfläche. Nennenswerte Schäden wurden nicht gemeldet. Das Beben war in weiten Teilen des südlichen Baden-Württemberg und im Norden der Schweiz zu spüren. Die Schwäbische Alb gehört zu den Erdbebenschwerpunkten in Deutschland. MEHR

Philippinen Weiteres schweres Erdbeben auf den Philippinen

(Donnerstag, 31.10.19) Am Donnerstag hat gegen 02:11 Uhr MEZ (= 09:11 Uhr Ortszeit) ein weiteres schweres Erdbeben die Insel Mindanao im Süden der Philippinen erschüttert. Das Beben erreichte nach vorläufigen Angaben des amerikanischen Erdbebendienstes die Stärke 6,5. Das Epizentrum lag nahe der Stadt Kidapawan (ca. 80.000 Einwohner) und etwa 55 Kilometer westsüdwestlich der Stadt Davao (ca. 1,2 Mio. Einwohner). Der Erdbebenherd befand sich rund 10 Kilometer unter der Oberfläche. Nach ersten Meldungen gab es erneut größere Schäden. Zuletzt hatten zwei schwere Erdstöße der Stärke 6,6 am 29. Oktober und der Stärke 6,4 am 16. Oktober die Insel Mindanao erschüttert und große Schäden angerichtet. MEHR

Australien Brände in Australien

Buschfeuer sind in Australien zwar völlig normal, dennoch richten sie immer wieder Schäden an. Im Jahr 2019 war vor allem der Osten des Landes extrem betroffen, dort gab es schon im September schwere Brände, die sogar Teile des subtropischen Regenwaldes zerstörten und bis zum Jahresende sehr große Regionen erfassten. MEHR

Philippinen Erneut schweres Erdbeben auf den Philippinen

(Dienstag, 29.10.19) Am Dienstag hat gegen 02:04 Uhr MEZ (= 09:04 Uhr Ortszeit) erneut ein schweres Erdbeben die Insel Mindanao im Süden der Philippinen erschüttert. Das Beben erreichte nach vorläufigen Angaben des amerikanischen Erdbebendienstes die Stärke 6,6. Das Epizentrum lag nahe der Stadt Magsaysay (ca. 17.000 Einwohner), etwa 40 Kilometer nordnordöstlich der Stadt Koronadal (ca. 125.000 Einwohner) und etwa 60 Kilometer südwestlich der Stadt Davao (ca. 1,2 Mio. Einwohner). Der Erdbebenherd befand sich 10 bis 20 Kilometer unter der Oberfläche. Nach Medienmeldungen gab es mindestens 7 Tote, zahlreiche Verletzte und erhebliche Schäden. Zuletzt hatte am 16. Oktober ein Erdstoß der Stärke 6,4 die Insel Mindanao erschüttert. MEHR

Philippinen Schweres Erdbeben auf den Philippinen

(Mittwoch, 16.10.19) Am Mittwoch hat gegen 13:37 Uhr MESZ (= 19:37 Uhr Ortszeit und damit im Dunkeln) ein schweres Erdbeben die Insel Mindanao im Süden der Philippinen erschüttert. Das Beben erreichte nach vorläufigen Angaben des amerikanischen Erdbebendienstes die Stärke 6,4. Das Epizentrum lag nahe der Ortschaft Columbio (ca. 5.500 Einwohner), etwa 30 Kilometer nordöstlich der Stadt Koronadal (ca. 125.000 Einwohner) und etwa 75 Kilometer südwestlich der Stadt Davao (ca. 1,2 Mio. Einwohner). Der Erdbebenherd befand sich 10 bis 20 Kilometer unter der Oberfläche. Nach ersten Meldungen gab es einige Schäden. MEHR

Taifun HAGIBIS Taifun HAGIBIS trifft auf Japan

Der Supertaifun HAGIBIS war zeitweise einer der stärksten Taifune der vergangenen Jahrzehnte auf dem Nordwestpazifik. Unter Abschwächung traf er auf den Großraum Tokio, wo es erhebliche Schäden gab. MEHR

Pakistan Starkes Erdbeben im Norden Pakistans

(Dienstag, 24.09.19) Am Dienstag hat gegen 13:02 Uhr MESZ (= 16:02 Uhr Ortszeit) ein starkes Erdbeben den Norden Pakistans erschüttert. Das Beben erreichte nach vorläufigen Angaben des amerikanischen Erdbebendienstes die Stärke 5,6. Das Epizentrum lag etwa 20 Kilometer nördlich der Stadt Jhelum (ca. 164.000 Einwohner) und etwa 90 Kilometer südöstlich der Millionenstadt Rawalpindi. Der Erdbebenherd befand sich rund 10 Kilometer unter der Oberfläche. Es wurden einige Tote und erhebliche Schäden gemeldet. MEHR

Albanien Starkes Erdbeben in Albanien

(Samstag, 21.09.19) Am Samstag hat gegen 16:04 Uhr MESZ (= Ortszeit) ein starkes Erdbeben Albanien in Südosteuropa erschüttert. Das Beben erreichte nach vorläufigen Angaben des amerikanischen Erdbebendienstes die Stärke 5,6. Das Epizentrum lag nahe der Stadt Durrës (ca. 123.000 Einwohner) und etwa 30 Kilometer westlich der albanischen Hauptstadt Tirana (ca. 375.000 Einwohner). Der Erdbebenherd befand sich rund 10 Kilometer unter der Oberfläche. Es wurden zahlreiche Verletzte und erhebliche Schäden an vielen Gebäuden gemeldet. MEHR

Hurrikan DORIAN Hurrikan DORIAN verweüstet Teile der Bahamas

Der stärkste Hurrikan des Jahres traf Ende August / Anfang September auf die nördlichen Bahamas. DORIAN erreichte die höchste Kategorie 5 der Hurrikanskala mit mittleren Windgeschwindigkeiten bis nahe 300 km/h. Einzelne Inseln wurden praktisch komplett verwüstet, die Zahl der Toten steht bis heute nicht genau fest. MEHR

Türkei Starkes Erdbeben im Westen der Türkei

(Donnerstag, 08.08.19) Am Donnerstag hat gegen 13:25 Uhr MESZ (= 14:25 Uhr Ortszeit) ein starkes Erdbeben den Westen der Türkei erschüttert. Das Beben erreichte nach vorläufigen Angaben des amerikanischen Erdbebendienstes die Stärke 5,8 und nach türkischen Angaben die Stärke 6,0. Das Epizentrum lag in der Nähe des Ortes Baklan (ca. 7.000 Einwohner) in der Provinz Denizli und etwa 225 Kilometer östlich der Millionenstadt Izmir. Der Erdbebenherd befand sich rund 10 Kilometer unter der Oberfläche. Aus den Orten Baklan und Bozkurt wurden größere Schäden an zahlreichen Gebäuden sowie mehrere Verletzte gemeldet. MEHR

Philippinen Erdbebenserie auf philippinischer Insel

(Samstag, 27.07.19) In der Nacht zum Samstag hat eine Erdbebenserie die Insel Itbayat im Norden der Philippinen erschüttert. Die drei stärksten Beben erreichten gegen 22:17 Uhr MESZ (= 04:17 Uhr Ortszeit), gegen 01:38 Uhr MESZ (= 07:38 Uhr Ortszeit) und gegen 03:24 Uhr MESZ (= 09:24 Uhr Ortszeit am Samstagvormittag) nach vorläufigen Angaben des amerikanischen Erdbebendienstes die Stärke 5,4, dann 6,0 und 5,7. Das Epizentrum lag beim ersten Erdstoß direkt im Bereich der Insel, die beiden anderen dicht östlich davon unter dem Meer. Der Erdbebenherd befand sich jeweils 9 bis 10 Kilometer unter der Oberfläche. Nach Medienmeldungen gab es einige Tote und viele Verletzte sowie erhebliche Schäden. MEHR

Rekordhitze Rekordhitze in Teilen Europas

Historischer Wettertag in Teilen Europas: Am 25. Juli wurde der alte, deutschlandweite Temperaturrekord aus dem Jahr 2015 (40,3 Grad) gleich an 15 Wetterstationen in Deutschland übertroffen und in Lingen im Emsland (Niedersachsen) wurde ein Höchstwert von 42,6 Grad gemessen – ein Rekord, zu dem es allerdings einige Vorbehalte gibt. MEHR

Indonesien Erneut schweres Erdbeben in Indonesien

(Sonntag, 14.07.19) Am Sonntag hat gegen 11:11 Uhr MESZ (= 18:11 Uhr Ortszeit) erneut ein schweres Erdbeben Teile Indonesiens erschüttert. Das Beben erreichte nach vorläufigen Angaben des amerikanischen Erdbebendienstes die Stärke 7,3. Das Epizentrum lag im recht dünn besiedelten Süden der Insel Halmahera, etwa 165 Kilometer südöstlich der Stadt Ternate (ca. 102.000 Einwohner) und etwa 150 Kilometer südsüdöstlich der Stadt Sofifi (ca. 36.000 Einwohner). Der Erdbebenherd befand sich rund 10 Kilometer unter der Oberfläche. Nach Medienmeldungen gab es in einigen Orten erhebliche Schäden und Panik unter der Bevölkerung. Erst eine Woche zuvor hatte ein Erdstoß der Stärke 6,9 vor allem die Stadt Ternate westlich der Insel Halmahera erschüttert. MEHR

Dürre Dürre in Deutschland

Nach dem extrem warmen und trockenen Sommer 2018 fiel auch der Sommer 2019 zeitweise sehr trocken aus. Felder trockneten aus und die Pegel der meisten Flüsse und Stauseen gingen deutlich zurück. MEHR

Kalifornien Weiteres schweres Erdbeben in Kalifornien

(Samstag, 06.07.19) Am Samstag hat gegen 05:20 Uhr MESZ (20:20 Uhr Ortszeit am Freitagabend) ein weiteres schweres Erdbeben Teile Kaliforniens erschüttert. Das Beben erreichte nach vorläufigen Angaben des amerikanischen Erdbebendienstes die Stärke 7,1. Das Epizentrum lag etwa 18 Kilometer nordnordöstlich der Stadt Ridgecrest (ca. 29.000 Einwohner) und etwa 200 Kilometer nördlich von Los Angeles. Der Erdbebenherd befand sich nur wenige Kilometer unter der Oberfläche. Nach ersten Meldungen gab es in der Stadt Ridgecrest erhebliche Schäden. Erst 34 Stunden zuvor hatte ein Erdstoß der Stärke 6,4 die Region erschüttert. MEHR

Junirekord in Deutschland Neuer Junirekord in Deutschland

Am 25. und 26. Juni war es in weiten Teilen Mitteleuropas ungewöhnlich heiß. Hitzewellen kommen zwar im Sommer häufiger vor, aber wie extrem die Hitze war, zeigt der Vergleich zu den bisherigen Rekorden. Auslöser war der Zustrom sehr heißer Luft aus der Sahara, die zwischen einem Hoch über Nordeuropa und einem Tief vor Westeuropa direkt bis nach Deutschland strömte. MEHR

Indonesien Sehr schweres Erdbeben im Osten Indonesiens

(Montag, 24.06.19) Am Montag hat gegen 04:53 Uhr MESZ (= 11:53 Uhr Ortszeit) ein sehr schweres Erdbeben den Meeresboden im Osten Indonesiens erschüttert. Das unterseeische Beben erreichte nach vorläufigen Angaben des amerikanischen Erdbebendienstes die Stärke 7,3. Das Epizentrum lag etwa 320 Kilometer südsüdöstlich der Stadt Ambon (ca. 355.000 Einwohner) und etwa 465 Kilometer nordöstlich der Stadt Dili in Osttimor. Der Erdbebenherd befand sich 210 bis 220 Kilometer unter der Oberfläche. Das Beben war in weitem Umkreis bis in den Norden Australiens zu spüren, größere Schäden oder eine gefährliche Flutwelle wurden aber nicht gemeldet. MEHR

China Starkes Erdbeben im zentralen China

(Montag, 17.06.19) Am Montag hat gegen 16:55 Uhr MESZ (= 22:55 Uhr Ortszeit) ein starkes Erdbeben zentrale Teile Chinas in der Provinz Sichuan erschüttert. Das Beben erreichte nach vorläufigen Angaben des amerikanischen Erdbebendienstes die Stärke 5,8 und nach chinesischen Angaben die Stärke 6,0. Das Epizentrum lag etwa 25 Kilometer ostsüdöstlich der Stadt Xunchang (ca. 65.000 Einwohner) und etwa 200 Kilometer südwestlich der Metropole Chongqing. Der Erdbebenherd befand sich rund 10 Kilometer unter der Oberfläche. In der Nähe des Epizentrums stürzten zahlreiche Gebäude ein oder wurden beschädigt. Dabei kamen nach Medienmeldungen mindestens 13 Menschen ums Leben und viele weitere wurden verletzt. Die Region wird häufig von schweren Erdbeben erschüttert, am 12. Mai 2008 starben in der Provinz Sichuan bei einem Erdstoß der Stärke 7,9 fast 70.000 Menschen. MEHR

Neuseeland Schweres Erdbeben bei Neuseeland

(Sonntag, 16.06.19) Am Sonntag hat gegen 00:55 Uhr MESZ (= 10:55 Uhr Ortszeit am Samstagvormittag) ein schweres Erdbeben den Meeresboden nordöstlich von Neuseeland erschüttert. Das unterseeische Beben erreichte nach vorläufigen Angaben des amerikanischen Erdbebendienstes die Stärke 7,2. Das Epizentrum lag etwa 105 Kilometer nordöstlich der Felseninsel L'Esperance Rock in den Kermadec Islands und etwa 890 Kilometer nordöstlich der Stadt Whangarei auf der neuseeländischen Nordinsel. Der Erdbebenherd befand sich 30 bis 40 Kilometer unter der Oberfläche. Schäden oder eine gefährliche Flutwelle wurden nicht gemeldet. In der Region nordöstlich von Neuseeland treten häufig schwere Erdbeben auf, zuletzt am 06. März 2019 mit der Stärke 6,4. MEHR

Zyklon FANI Starker Tornado in Bocholt

Am späten Abend des 04. Juni zog ein starker Tornado über das westliche und nördliche Stadtgebiet von Bocholt im Landkreis Borken (Nordrhein-Westfalen) hinweg und richtete hier große Schäden an. MEHR

Peru Sehr schweres Erdbeben in Peru

(Sonntag, 26.05.19) Am Sonntag hat gegen 09:41 Uhr MESZ (02:41 Uhr Ortszeit) ein sehr schweres Erdbeben Teile Südamerikas erschüttert. Das Beben erreichte nach vorläufigen Angaben des amerikanischen Erdbebendienstes die Stärke 8,0. Das Epizentrum lag im Norden Perus, etwa 90 Kilometer östlich der Stadt Yurimaguas (ca. 60.000 Einwohner). Der Erdbebenherd befand sich 100 bis 110 Kilometer unter der Oberfläche. Wegen der enormen Stärke des Bebens traten trotz der großen Herdtiefe erhebliche Schäden in den umliegenden Städten in Peru und Ecuador auf, nach Medienmeldungen gab es mindestens zwei Tote und zahlreiche Verletzte. MEHR

Neuguinea Sehr schweres Erdbeben bei Neuguinea

(Dienstag, 14.05.19) Am Dienstag hat gegen 14:58 Uhr MESZ (22:58 Uhr Ortszeit) ein sehr schweres Erdbeben den Meeresboden bei Neuguinea erschüttert. Das unterseeische Beben erreichte nach vorläufigen Angaben des amerikanischen Erdbebendienstes die Stärke 7,5. Das Epizentrum lag zwischen den zu Neuguinea gehörenden Inseln Neubritannien und Neuirland, etwa 45 Kilometer nordöstlich der Stadt Kokopo (ca. 26.000 Einwohner) auf der Insel Neubritannien und etwa 840 Kilometer nordöstlich der Hauptstadt Port Moresby. Der Erdbebenherd befand sich rund 10 Kilometer unter der Oberfläche. Für Teile Neuguineas wurde eine Tsunamiwarnung ausgegeben, die aber nach 1,5 Stunden aufgehoben wurde. Auf den umliegenden Inseln gab es meist leichtere Schäden, über Opfer ist nichts bekannt. MEHR

Neuguinea Schweres Erdbeben in Neuguinea

(Montag, 06.05.19) Am Montag hat gegen 23:19 Uhr MESZ (= 07:19 Uhr Ortszeit am Dienstagmorgen) ein schweres Erdbeben Neuguinea im Südwestpazifik erschüttert. Das Beben erreichte nach vorläufigen Angaben des amerikanischen Erdbebendienstes die Stärke 7,2. Das Epizentrum lag etwa 35 Kilometer nordwestlich der Stadt Bulolo (ca. 16.000 Einwohner), etwa 65 Kilometer westsüdwestlich der Küstenstadt Lae (ca. 76.000 Einwohner) und etwa 285 Kilometer nördlich der Hauptstadt Port Moresby. Der Erdbebenherd befand sich 130 bis 140 Kilometer unter der Oberfläche. Größere Schäden oder Opfer wurden zunächst nicht gemeldet. MEHR

Zyklon FANI Zyklon FANI trifft auf Indien

Vor der Ostküste Indiens verstärkte sich der Zyklon FANI Anfang Mai 2019 über 30 bis 31 Grad warmem Wasser extrem verstärkt und wies mittlere Windgeschwindigkeiten bis etwa 250 km/h mit geschätzten Böen bis über 300 km/h auf bei einem Kerndruck von etwa 917 Hektopascal – einem Wert, den man auf den handelsüblichen Barometern vergeblich sucht. MEHR

Gewitterfront am 24. April Gewitterfront am 24. April

Teils kräftige Schauer und Gewitter zogen vor allem über die Westhälfte Deutschlands hinweg. Sie waren mit teils starkem Regen, örtlichem Hagel und zum Teil schweren Sturmböen verbunden, die einige Schäden anrichteten. Eine größere Unwetterlage gab es aber nicht. Einige Feuerwehren hatten dennoch eine ganze Reihe Einsätze. MEHR

Philippinen Weiteres schweres Erdbeben auf den Philippinen

(Dienstag, 23.04.19) Am Dienstag hat gegen 07:38 Uhr MESZ (13:38 Uhr Ortszeit) ein weiteres schweres Erdbeben Teile der Philippinen erschüttert. Das Beben erreichte nach vorläufigen Angaben des amerikanischen Erdbebendienstes die Stärke 6,3. Das Epizentrum lag im Landesinnern der Insel Samar im Osten der Inselgruppe, etwa 35 Kilometer östlich der Stadt Catbalogan (ca. 68.000 Einwohner) und etwa 220 Kilometer nordöstlich der Stadt Cebu City (ca. 800.000 Einwohner). Der Erdbebenherd befand sich 50 bis 60 Kilometer unter der Oberfläche. Nach den vorliegenden Meldungen gab es mehrere Verletzte und einige Schäden. Erst einen Tag zuvor erschütterte ein Beben der Stärke 6,1 den Großraum Manila und mehrere Menschen kamen hier ums Leben. Im Jahre 1990 kamen bei einem Erdbeben der Stärke 7,6 etwa 2.400 Menschen auf den Philippinen ums Leben. MEHR

Philippinen Schweres Erdbeben auf den Philippinen

(Montag, 22.04.19) Am Montag hat gegen 11:11 Uhr MESZ (17:11 Uhr Ortszeit) ein schweres Erdbeben den Großraum Manila auf der Insel Luzon im Norden der Philippinen erschüttert. Das Beben erreichte nach vorläufigen Angaben des amerikanischen Erdbebendienstes die Stärke 6,1. Das Epizentrum lag nahe der Stadt Dinalupihan (ca. 67.000 Einwohner) und etwa 25 Kilometer westsüdwestlich der Stadt San Fernando (ca. 250.000 Einwohner) sowie etwa 60 Kilometer nordwestlich der philippinischen Hauptstadt und Metropole Manila. Der Erdbebenherd befand sich rund 20 Kilometer unter der Oberfläche. Einige Gebäude stürzten ein, darunter ein voller Supermarkt. Nach den vorliegenden Meldungen gab es einige Tote und viele Verletzte. Im Jahre 1990 kamen bei einem Erdbeben der Stärke 7,6 etwa 2.400 Menschen auf den Philippinen ums Leben. MEHR

Türkei Starkes Erdbeben im Westen der Türkei

(Mittwoch, 20.03.19) Am Mittwoch hat gegen 07:34 Uhr MEZ (= 09:34 Uhr Ortszeit) ein starkes Erdbeben den Südwesten der Türkei erschüttert. Das Beben erreichte nach vorläufigen Angaben des amerikanischen Erdbebendienstes die Stärke 5,7. Das Epizentrum lag etwa 20 Kilometer östlich der Stadt Acipayam (ca. 11.000 Einwohner) und etwa 55 Kilometer südöstlich der Stadt Denizli (ca. 315.000 Einwohner). Der Erdbebenherd befand sich rund 10 Kilometer unter der Oberfläche. An zahlreichen Häusern entstanden Schäden und mehrere Gebäude stürzten ein. Dabei wurden einige Menschen verletzt. MEHR

Tornado Roetgen Starker Tornado bei Aachen

In Roetgen bei Aachen an der belgischen Grenze richtete am 13. März 2019 ein Tornado der Stärke F3 erhebliche Schäden an einigen Häusern an. Nach Medienberichten wurden 5 Menschen verletzt. Der Tornado wurde gefilmt. MEHR

IDAI ZYKLON IDAI trifft auf Mosambik

Im März zog der starke Zyklon IDAI nach Mosambik und richtete hier sowie in mehreren Nachbarstaaten große Schäden vor allem durch Überschwemmungen an. Dabei kamen mehr als 1000 Menschen ums Leben. MEHR

Peru Schweres Erdbeben in Peru

(Freitag, 01.03.19) Am Freitag hat gegen 09:50 Uhr MEZ (03:50 Uhr Ortszeit) ein schweres Erdbeben Teile Südamerikas erschüttert. Das Beben erreichte nach vorläufigen Angaben des amerikanischen Erdbebendienstes die Stärke 7,0. Das Epizentrum lag im Landesinnern Perus, nahe der Grenze zu Bolivien und unweit des Titicacasees, etwa 25 Kilometer nordöstlich von Azángaro (ca. 13.000 Einwohner). Der Erdbebenherd befand sich 250 bis 260 Kilometer unter der Oberfläche. Das Beben war in weitem Umkreis in Peru, Bolivien und Nordchile zu spüren. Größere Schäden wurden wegen der großen Herdtiefe nicht gemeldet. Erst vor einer Woche ereignete sich im Grenzbereich Ecuador - Peru ein schweres Erdbeben der Stärke 7,5. MEHR

Ecuador Schweres Erdbeben in Ecuador

(Freitag, 22.02.19) Am Freitag hat gegen 11:17 Uhr MEZ (05:17 Uhr Ortszeit) ein schweres Erdbeben Teile Südamerikas erschüttert. Das Beben erreichte nach vorläufigen Angaben des amerikanischen Erdbebendienstes die Stärke 7,5. Das Epizentrum lag im Landesinnern Ecuadors, nahe der Grenze zu Peru, etwa 120 Kilometer östlich von Macas (ca. 24.000 Einwohner). Der Erdbebenherd befand sich 130 bis 140 Kilometer unter der Oberfläche. Das Beben war in weitem Umkreis zu spüren. Einige Schäden wurden trotz der großen Herdtiefe gemeldet. MEHR

Neuseeland Mpemba-Effekt bei kaltem Winterwetter

Ende Januar stellte sich ein Phänomen ein, das nur bei sehr kaltem Wetter beobachtet werden kann: Der so genannte Mpemba-Effekt. Bei gleichen Bedingungen gefriert heißes Wasser schneller als kälteres. Das Gefrieren kann so schnell erfolgen, dass eine Tasse heißes Wasser in die eiskalte Luft geworfen direkt gefriert, bevor es den Boden berührt. MEHR





zur Homepage von Thomas Sävert