Jahresrückblick 2021 von
Thomas Sävert
Globaler Wetterüberblick 2021

2021: Hurrikane, Tornados, Sturzfluten

Weltweit haben Naturkatastrophen 2021 nach Angaben der Münchner Rückversicherung Munich Re erheblich höhere Schäden als in den beiden Vorjahren verursacht, besonders Hurrikane, Kältewellen und Tornados in den USA haben zu einer Gesamtschadensumme von etwa 280 Milliarden US-Dollar (Vorjahr: 210 Mrd.) beigetragen. Davon waren allerdings lediglich etwa 120 Milliarden versichert. Damit lag die Schadensumme deutlich höher als in den Vorjahren und damit etwa im Bereich der heftigen Jahr 2011 und 2005 (u.a. Hurrikan Katrina in den USA). Im bisherigen Rekordjahr 2017 waren es 146 Milliarden US-Dollar (inflationsbereinigt). Die teuerste Naturkatastrophe in 2021 war der Hurrikan IDA mit einer Schadensumme von 65 Milliarden US-Dollar, davon 36 Mrd. versichert. In Europa beliefen sich die Schäden nach der sommerlichen Flutkatastrophe auf etwa 54 Mrd. US-Dollar (46 Mrd. Euro) - damit handelte es sich um die bislang teuerste Naturkatastrophe in Deutschland. Fast 10.000 Menschen kamen 2021 bei Naturkatastrophen ums Leben und damit etwa mehr als in 2020 (8.200).


Übersicht der weltweiten Schadenereignisse 2021, Quelle: Munich Re


Der Anteil der Schäden in den USA an den Gesamtschäden war in 2021 sehr hoch, er lag bei 145 Milliarden US-Dollar, davon etwa 85 Mrd. versichert. Dazu trug besonders der Hurrikan IDA bei, der am 29. August und damit genau am Jahrestag des verheerenden Hurrikans KATRINA mit mittleren Windgeschwindigkeiten bis etwa 240 km/h (zweithöchste Kategorie 4 der fünfteiligen Hurrikanskala) auf den Süden der USA traf. Die Stadt New Orleans - 2005 durch KATRINA verwüstet - blieb zumindest von einer erneuten Überflutung verschont. Tausende Gebäude wurden aber beschädigt und im Nordosten der USA löste IDA schwere Überschwemmungen im Großraum New York und in New Jersey aus. Mindestens 114 Menschen starben durch den Hurrikan.

Bereits im Februar hatte eine ungewöhnliche Kältewelle große Teile der USA im Griff und selbst in Houston im Süden von Texas wurden -8 Grad gemessen. Zeitweise waren Millionen Menschen ohne Strom. Die Schäden durch die Kältewelle beliefen sich auf etwa 30 Milliarden US-Dollar. Durch die Flutkatastrophe im Juli in Europa entstanden Schäden von etwa 46 Milliarden Euro, davon allein in Deutschland 33 Milliarden Euro. Davon war nur etwa ein Viertel versichert, da enorme Schäden unter anderem an der unversicherten Infrastruktur entstanden und vielfach keine Elementarschadenversicherung vorhanden war. Allein in Deutschland kamen mehr als 180 Menschen ums Leben.

Eine für die Jahreszeit eher selten Gewitter- und Tornadoserie suchte im Dezember die Mitte und den Südosten der USA heim. Ein besonders schlimmer und für die Jahreszeit ungewöhnlicher Tornadoausbruch erfolgte am 10./11. Dezember. Betroffen waren unter anderem die Bundesstaaten Tennessee und Kentucky, wo in Mayfield extreme Schäden entstanden. Eine Kerzenfabrik und Teile eines Amazon-Lagers stürzten ein und begruben viele Menschen unter sich. Zwei sehr starke Tornados legten dabei eine Strecke von 130 und 266 Kilometer zurück. Mindestens 90 Menschen kamen durch die Tornados ums Leben. Die Schadensumme war für die Jahreszeit außergewöhnlich hoch mit etwa 5,2 Milliarden US-Dollar, davon etwa 4 Mrd. versichert.

Die teuerste Naturkatastrophe in Asien war ein schweres Hochwasser in der chinesischen Provinz Henan, wo nach heftigen Regenfällen zahlreiche Flüsse über die Ufer traten. Die Schäden beliefen sich auf etwa 16,5 Milliarden US-Dollar, wovon nur ein sehr geringer Teil versichert war. Durch ein Erdbeben vor der japanischen Küste am 13. Februar entstanden Schäden in Höhe von 7,7 Milliarden US-Dollar. Der teuerste Vulkanausbruch war der Ausbruch der auf La Palma mit etwa 850 Millionen Euro, wovon kaum etwas versichert sein dürfte.

Das Wetterjahr 2021 in Deutschland


© by Thomas Sävert


In Deutschland war das Wetterjahr 2021 geprägt durch die Unwetterkatastrophe Mitte Juli im Westen und Südwesten Deutschlands. Mehr als 180 Menschen kamen durch das Hochwasser in Nordrhein-Westfalen und Rheinland-Pfalz ums Leben, die Schäden gingen weit in die Milliarden und es dauert Jahre, die Spuren der Verwüstung zu beseitigen. Auslöser war ein extremes Starkregenereignis, das in einigen Regionen gewaltige Regenmengen hervorbrachte und so kleinste Flüsse und Bäche innerhalb von Minuten auf Rekordniveau anschwellen ließ. Sehr schlimm war und ist die Lage entlang der Ahr, wo zahlreiche Häuser zerstört wurden. Abgesehen von dieser Extremwetterlage fiel das Jahr 2021 in Deutschland weitgehend durchschnittlich aus. In Erinnerung bleiben auch der Wintereinbruch im Februar mit starken Schneefällen, Eisregen und sibirischen Temperaturen in vielen Landesteilen, der kälteste April seit 40 Jahren und ein sommerlicher und sehr warmer Juni. Temperaturrekorde blieben aber im Sommer 2021 aus und das Regendefizit der vergangenen Jahre konnte zumindest etwas ausgeglichen werden.


© Bernd Hussing, http://www.bernd-hussing.de/klima.htm


Im Vergleich zum Mittel der Jahre 1991 bis 2020 schwankten die Temperaturen im Jahr 2021 meist um die Mittelwerte oder lagen leicht darunter.


© Bernd Hussing, http://www.bernd-hussing.de/klima.htm


Das Deutschlandmittel lag im Jahr 2021 bei 9,1 Grad und damit im oberen Mittelfeld der bis 1881 zurückreichenden Temperaturreihe. Im Vergleich zur Periode 1961 bis 1990 war das Jahr 2021 0,9 Grad wärmer und damit das elfte Jahr in Folge mit überdurchschnittlichen Temperaturen. Verglichen mit der neueren und wärmeren Periode 1991 bis 2020 lag das Jahr aber 0,2 Grad unter dem Durchschnitt. Die höchste Temperatur des Jahres 2021 wurde am 19. Juni in Berlin-Tempelhof und im etwa 50 km südlich gelegenen Baruth mit 36,6 Grad gemessen, der tiefste Wert am 10. Februar mit -26,7 Grad in Mühlhausen (Thüringen).


© Bernd Hussing, http://www.bernd-hussing.de/klima.htm


Im Norden fiel das Jahr 2021 gebietsweise trockener aus als im langjährigen Mittel, sonst war es meist etwas nasser, wobei regionale Unwetter bei der groben Übersicht kaum erfasst werden können. Im Flächenmittel fielen in Deutschland 798,1 Liter pro Quadratmeter (105,5 Prozent des Mittels 1991-2020). Bei der Flutkatastrophe im Sommer wurden am 14. Juli von der Eifel bis ins Bergische Land verbreitet mehr als 100 Liter Regen pro Quadratmeter gemessen, lokal waren es sogar mehr als 150 Liter. Das meiste davon fiel innerhalb von rund 12 Stunden. Die höchste Tagesmenge wurde aber am 30. Juni in Ludwigsburg in der Uckermark mit 198,7 Liter pro Quadratmeter gemessen. Schnee fiel bei dem heftigen Wintereinbruch Mitte Februar im Bereich einer Luftmassengrenze, die vom Emsland bis zum Erzgebirge verbreitet 20 bis 40 Zentimeter Schnee brachte.


© Bernd Hussing, http://www.bernd-hussing.de/klima.htm


Die Sonne schien im Norden verbreitet etwas weniger als im langjährigen Mittel, während es nach Süden und Südwesten hin sonniger war. Mit 1.654 Sonnenstunden im deutschlandweiten Flächenmittel wurde der Mittelwert der Jahre 1991 bis 2020 nicht ganz erreicht, im Vergleich zur Periode 1961 bis 1990 lag der Wert um etwa 7 Prozent über dem Mittel.

Das Wetterjahr 2021 im Einzelnen

Der Januar 2021 zeigte sich in Deutschland meist grau und eher nass. Dabei war es zeitweise sehr mild, in den Mittelgebirgen und in den Alpen aber oft winterlich und zum Teil tief verschneit. Nur schwer konnten die Touristenmassen von den Skigebieten ferngehalten werden, in Corona-Zeiten waren die meisten Pisten nach dem ersten Wochenende mit überfüllten Skiorten sowieso gesperrt. Nur kurzzeitig hielt der Winter auch in tiefen Lagen Einzug. Am 14. und 15. Januar schneite es im Südwesten Deutschlands kräftig. Vom Schwarzwald bis zum Allgäu kamen im Bergland 50 bis über 100 Zentimeter Neuschnee zusammen, in Lindau am Bodensee fielen innerhalb von 24 Stunden 40 Zentimeter Schnee. Am 21. Januar richtete das Sturmtief GORAN vor allem im Nordwesten und Westen einige Schäden an. In Böen wurde vielerorts Windstärke 10 (schwere Sturmböen) erreicht, in Bremerhaven mit 118 km/h sogar Orkanstärke. Sehr milde Luft wehte vor allem in den Südwesten mit Temperaturen bis 16 Grad am Oberrhein. In den letzten Tagen des Monats Januar bildete sich diagonal über Deutschland eine markante Luftmassengrenze, die trockenkalte Luft im Nordosten von sehr milder und feuchter Luft im Südwesten trennte. Zum Monatsende setzte sich die Kaltluft bis zu den Alpen durch.

Der Februar 2021 hatte es in sich. Über den gesamten Monat gerechnet war die Nordosthälfte Deutschlands etwas kälter als im langjährigen Mittel, im Süden und Südwesten dagegen bis etwa 2 Grad wärmer. Hier kam der Wintereinbruch in der zweiten Februarwoche etwas verspätet an, als sich die Luftmassengrenze von Ende Januar langsam nach Süden vorarbeitete. In der ersten Februarwoche fielen in einem Streifen vom Emsland bis nach Sachsen verbreitet 20 bis 55 Zentimeter Neuschnee. Unter den Schnee mischte sich gebietsweise rötlicher Saharastaub. Nach Süden hin schloss sich ein Streifen mit extremem gefrierenden Regen an. Nachts stellte sich in der Nordhälfte teils sehr strenger Frost bis unter -20 Grad ein. Zur Monatsmitte würde es von Südwesten her deutlich milder mit frühlingshaften Temperaturen bis über 20 Grad. Damit war es in einigen Regionen mehr als 40 Grad wärmer als wenige Tage zuvor. Sehr trocken war der Februar im Nordwesten, wo gebietsweise nicht einmal ein Drittel der durchschnittlichen Menge zusammenkam. Dagegen meldete Magdeburg in Sachsen-Anhalt mehr als das Doppelte vom Mittelwert. Die Sonne leistete in weiten Landesteilen reichlich Überstunden.


Schneemassen am Niederrhein, © by Thomas Sävert.


Ein ganz normaler Winter 2020/21? Das könnte man jedenfalls meinen, wenn man sich die Durchschnittswerte aus den zurückliegenden drei Monaten anschaut. Die Temperaturen lagen in Deutschland meist im Bereich der langjährigen Mittelwerte, nach Südwesten hin etwas darüber. Während es im Norden und Nordosten zum Teil deutlich trockener war als im langjährigen Mittel, fiel im Südwesten des Landes deutlich mehr Niederschlag. Die Sonne hielt sich in den meisten Landesteilen etwas zurück. Der heftige Wintereinbruch im Februar wurde durch vorfrühlingshaftes Wetter in der zweiten Monatshälfte mehr als ausgeglichen.

Im März 2021 überwogen in Deutschland Hochdruckwetterlagen, die vor allem in der Südosthälfte Deutschlands nur wenig Niederschlag zuließen. Atlantische Tiefdruckgebiete erfassten zeitweise vor allem den Nordwesten und Norden des Landes, am 11. und 13. des Monats auch mit teils schweren Sturmböen und einigen Sturmschäden. Zeitweise strömte aus nördlichen Breiten kühle Polarluft ins Land mit Schneefällen in den Mittelgebirgen. Zum Monatsende stellte sich ungewöhnlich warmes Wetter ein mit frühsommerlichen Temperaturen. Gebietsweise wurde sogar schon der erste Sommertag (ab 25,0 Grad) registriert.

Kältester April seit über 40 Jahren: Nach der fast winterlich anmutenden ersten Aprilhälfte mit Schneeschauern bis in tiefe Lagen und bis zu 30 Zentimeter Neuschnee in den Mittelgebirgen erholten sich die Temperaturen im Laufe des Monats nur wenig von dem Kälteschock. Der gesamte April fiel deutlich kälter aus als im langjährigen Mittel. Man muss schon bis ins Jahr 1980 zurückgehen, um einen ähnlich kalten April zu finden. Dennoch war es im zurückliegenden Monat verbreitet trockener und in vielen Regionen auch sonniger als im Durchschnitt.

Das Frühjahr 2021 endete mit einem alles andere als frühlingshaften Mai. Daran konnten auch die letzten, deutlich wärmeren Tage nichts ändern. Mit Abweichungen von meist 1,5 bis 3,5 Grad nach unten war es deutschlandweit der kälteste Mai seit 11 Jahren und der drittkälteste der vergangenen 30 Jahre. Die meiste Zeit beherrschte ein Tiefdruckkomplex über Nordeuropa das Wetter in Deutschland mit feuchtkühler Atlantikluft. Einzelne Orte meldeten in der ersten Maiwoche bis zu sechs Frosttage und am Morgen des 3. meldete Meßstetten auf der Schwäbischen Alb einen Tiefstwert von -4,5 Grad. Mit einem kurzen Warmluftvorstoß wurde am 09. Mai in Waghäusel-Kirrlach, südwestlich von Heidelberg, mit 31,3 Grad der erste heiße Tag des Jahres in Deutschland registriert. In weiten Teilen des Landes war der Mai deutlich nasser als im Mittel, im Norden und im Südosten fiel gebietsweise mehr als das Doppelte des langjährigen Durchschnitts. Die höchste Tagesmenge wurde am 06. In Sankt Blasien-Menzenschwand (Baden-Württemberg) mit 76,7 Litern pro Quadratmeter gemessen. Der Mai war verbreitet sehr sonnenscheinarm, in Schleswig-Holstein wurde zum Teil nur die Hälfte des Mittelwertes erreicht.


Schneefall im Bergischen Land, Foto: Achim Otto


Zum ersten Mal seit 2013 gab es damit wieder ein kühles Frühjahr in Deutschland. Tiefdruckgebiete lenkten im April polare Kaltluft aus Norden nach Mitteleuropa, gefolgt von kühler Atlantikluft in weiten Strecken des Monats Mai. Kurze frühsommerliche Abschnitte beschränkten sich auf wenige Tage Ende März, um den 09. Mai und Ende Mai. Vom 09. bis zum 11. Mai wurden gebietsweise so genannte Heiße Tage mit Höchstwerten von 30,0 Grad und mehr registriert. Insgesamt war das Frühjahr trockener als im Mittel, während die Sonne nur im Südwesten etwas häufiger schien.

Nach dem ungewohnt kühlen Mai legte das Wetter Ende des eigentlich als Wonnemonat bekannten Monats sozusagen den Schalter um und so startete der Juni 2021 sommerlich mit viel Sonnenschein. Mehrere Hochdruckgebiete folgten in den ersten zehn Tagen, bevor sich immer wieder schwülwarme Luft durchsetzen konnte. Insgesamt war der Monat Juni verbreitet deutlich wärmer, im Nordosten trockener, sonst meist nasser und in ganz Deutschland sonniger als im langjährigen Mittel. Zur Monatsmitte wurde vor allem im Südwesten vielerorts die 30-Grad-Marke deutlich überschritten. Auch zahlreiche lokale Unwetter bestimmten das Wetter vor allem in der zweiten Monatshälfte. Am 30. Juni fielen im nordöstlichen Brandenburg in einem mit Gewittern durchsetzten Regengebiet gebietsweise 150 bis 180 Liter Regen pro Quadratmeter, was zu Überschwemmungen führte.

Die Unwetterserie aus der zweiten Junihälfte setzte sich im Juli fort und steigerte sich in eine katastrophale Wetterlage mit Hochwasser an vielen Flüssen und Bächen vor allem im Westen und Südwesten Deutschlands. Damit war der Juli regional extrem nass, im Norden etwas wärmer und insgesamt sonnenscheinarm. Der Monat fiel bei den Niederschlagsmengen sehr unterschiedlich aus. Durch extreme Regenfälle im Bereich eines stationären Höhentiefs kamen am 14. Juli im Bereich Köln bis Eifel verbreitet mehr als 100 Liter pro Quadratmeter zusammen, in Wipperfurth-Gardeweg waren es sogar 162,4 Liter. Die Folgen waren katastrophal mit Sturzfluten und dramatischen Anstiegen der Flüsse und selbst kleinster Bäche. Ganze Häuser wurden weggerissen und mehr als 180 Menschen kamen in NRW und Rheinland-Pfalz ums Leben. Die Schäden lagen im zweistelligen Milliardenbereich. Weitere meist lokale Unwetter traten im weiteren Verlauf des Monats auf. Am 30. zog eine Superzelle (langlebiges und kräftiges Gewitter mit mindestens 30 Minuten lang beständig rotierenden Aufwindbereich) mit Großhagel und Windböen bis Orkanstärke von Niederbayern bis zur Hohen Tatra.

Der August 2021 brachte reichlich durchwachsenes und vergleichsweise kühles Wetter. Verbreitet war er 1 bis 2 Grad kälter als im Mittel der Jahre 1991 bis 2020, mit einem Flächenmittel von 16,5 Grad gehört der August 2021 zu den kältesten der vergangenen 20 Jahre, während er im Mittelfeld der weiter zurückliegenden Jahrzehnte liegt. Im Nordwesten war der Monat trockener, sonst verbreitet deutlich nasser als im Mittel. Im Osten fiel stellenweise mehr als das Doppelte der durchschnittlichen Menge. Passend dazu kamen meist nur 60 bis 80 Prozent der durchschnittlichen Sonnenstunden zusammen. Das schlimmste Unwetter des Monats dürfte ein starker Tornado gewesen sein, der am 15. August große Schäden in Millionenhöhe in Berumerfehn und Ostermoordorf im Landkreis Aurich in Ostfriesland anrichtete.

Der Sommer 2021 geht als sehr durchwachsene Jahreszeit mit einigen Unwettern in die Wettergeschichte ein. Für viele Jahre in Erinnerung bleiben dürfte die Hochwasserkatastrophe im Westen und Südwesten Deutschlands mit vielen zerstörten Häusern und sehr vielen Toten. Die Schäden gehen in die Milliarden. Insgesamt war der Sommer meist durchschnittlich temperiert, allerdings in vielen Regionen nasser und sonnenscheinärmer als im langjährigen Mittel.

Der September 2021 zeigte sich zumindest zeitweise spätsommerlich, er war insgesamt wärmer als im langjährigen Mittel, verbreitet deutlich trockener und in der Südwesthälfte sonniger. Die meiste Zeit bestimmten Hochdruckgebiete das Wetter in weiten Landesteilen. Am 23. und 29./30. September traten vor allem an den Küsten, zum Teil auch im Landesinnern die ersten beiden Herbststürme auf. Der Monat endete spektakulär mit mehreren Tornados, von denen einer mitten durch Kiel zog und hier mehrere Menschen zum Teil schwer verletzte.

Nach dem meist wechselhaften September stellten sich im Oktober häufig Hochdruckwetterlagen ein, die weite Teile Mitteleuropas beherrschten. Gebietsweise hielten sich vor allem morgens dichte Nebelfelder und erste Nachtfröste traten auf. Zeitweise gelangten sehr milde Luftmassen nach Deutschland. Den ersten schweren Herbststurm brachte am 21. das kleine Randtief HENDRIK II, örtlich wurde in seinem Bereich sogar Orkanstärke erreicht. Insgesamt war der Oktober nach Angaben des Deutschen Wetterdienstes im Norden wärmer, sonst etwas kühler als im Mittel. Vielerorts machte die Sonne Überstunden und es blieb wieder einmal sehr trocken.

Der November fiel in Deutschland sehr unterschiedlich aus, Während der Monat im Norden und Nordosten meist 1 bis 2 Grad wärmer war als im Mittel der Jahre 1991 bis 2020, fiel er im Südwesten bis zu 1,5 Grad kälter aus. Die meiste Zeit überwog Hochdruckeinfluss. Damit fiel in den meisten Regionen sehr wenig Regen, Flüsse und Stauseen leerten sich deutlich. Von einem Rekordniedrigwasser blieben die Gewässer aber noch weit entfernt. Nasser war der November lediglich im Osten, unter anderem in Potsdam und Rostock kam über 50 Prozent mehr Regen zusammen als im Mittel. Den meisten Regen brachte am 04. November ein Tief, dass vom Mittelmeer nach Polen zog und auf der Insel Usedom innerhalb von 24 Stunden 64,5 Liter pro Quadratmeter brachte. Unter dem Hochdruckeinfluss hielt sich tagelang hochnebelartige Bewölkung und der ohnehin schon als grauer Monat bekannte November fiel noch trüber aus als im Durchschnitt. Nur im Südwesten schien die Sonne gebietsweise länger. Zum 1. Adventswochenende setzt sich Kaltluft durch und vor allem in vielen Mittelgebirgen fiel der erste nennenswerte Schnee.


© by Sven Ebels


Der Herbst 2021 war insgesamt eher ein goldener mit viel Sonnenschein, wenig Regen und relativ hohen Temperaturen, wobei es große regionale Unterschiede gab und sich im ganzen Land auch einige graue und nasse Phasen einstellten. Am 21. Oktober richtete der Herbststurm HENDRIK II vor allem in der Mitte und im Süden Deutschlands verbreitet Schäden an. Erst Ende November machte sich im Bergland der nahende Winter bemerkbar.

Sehr wechselhaft zeigte sich der Dezember 2021 in Deutschland. Nach windigem Start mit dem Sturmtief DANIEL und teils schweren Sturmböen im Norden stellte sich vor allem im Osten und Süden Deutschlands vorübergehend winterliches Wetter mit Schneefällen ein. Um die Monatsmitte war es verbreitet trüb, bevor sich zum Weihnachtsfest eine Luftmassengrenze quer über das Land legte. Nordöstlich davon war es eisig kalt, aber sonnig, sonst blieb es oft grau. Nach Weihnachten setzt sich nach und nach im ganzen Land sehr milde Luft durch. Insgesamt war der Dezember 2021 damit ein wechselhafter, aber meist durchschnittlicher Monat.

Tornados


Tornado bei Elten am 20.10.2021, Quelle: Svenko


Das Tornadojahr 2021 startete in Deutschland recht verhalten, im Laufe des Frühjahrs und des Sommers kamen aber viele Tornados und Tornadoverdachtsfälle zusammen. Insgesamt sind bisher 29 Tornados bestätigt, dazu kommen 17 plausible Fälle, in denen ein Tornado sehr wahrscheinlich ist. Im Jahr 2021 sind derzeit außerdem 176 Verdachtsfälle bekannt. Die Zahl der bestätigten Tornados kann nach weiterer Diskussion zahlreicher Fälle noch deutlich ansteigen.


Tornado in Berumerfehn am 16.08.2021, Quelle: Alexandra Heidkamp


Der stärkste Tornado des Jahres 2021 richtete am Abend des 16. August mit der Stärke F2 große Schäden in Berumerfehn und Ostermoordorf, Gemeinde Großheide im Landkreis Aurich in Ostfriesland an. Mehrere Gebäude wurden schwer beschädigt und für unbewohnbar erklärt. Die Schäden gingen in die Millionen. Bei mindestens 13 weiteren bestätigten oder plausiblen Fällen wurde die Stärke F1 erreicht.

Im langjährigen Mittel gehen wir von 40 bis 60 Tornados pro Jahr in Deutschland aus, wobei die Zahlen von Jahr zu Jahr stark schwanken. Ein Tornado der Stärke F3 kommt etwa alle zwei Jahre vor, F2-Tornados im Schnitt 3 bis 5 pro Jahr. Eine genauere Statistik gibt es derzeit noch nicht. Erst seit der Jahrtausendwende wird in privater Initiative wieder Tornadoforschung in Deutschland betrieben, für eine aussagekräftige Statistik reicht dies noch nicht aus.


Europaweit wurden 2021 mindestens 935 Tornados gemeldet und damit mehr als im Vorjahr (860). Die meisten Tornados wurden im Mittelmeerraum beobachtet, ein weiterer Schwerpunkt reichte von der Nordwesthälfte Frankreichs bis zu den Niederlanden. Recht wenige Tornados wurden in Norwegen und Finnland beobachtet.


© by SPC. Zahl der Tornados in den USA im Jahre 2021 im Vergleich zu vergangenen Jahren.



© by SPC. Tägliche Zahl der Tornados in den USA im Jahre 2021.


In den USA fiel die Tornadosaison 2021 durchschnittlich aus. Mit vorläufig etwa knapp 1400 Tornados liegt die Zahl im Bereich des langjährigen Mittelwertes. Die Tornados waren über das ganze Jahr verteilt, wobei der Schwerpunkt in den Monaten März bis Mai lag. Größere Tornadoausbrüche wurden vor allem Mitte und Ende März sowie Anfang Mai und Ende Juli verzeichnet. Ein besonders schlimmer und für die Jahreszeit ungewöhnlicher Tornadoausbruch erfolgte am 10./11. Dezember 2021 in Teilen der USA. Betroffen waren unter anderem die Bundesstaaten Tennessee und Kentucky, wo in Mayfield extreme Schäden entstanden. Eine Kerzenfabrik und Teile eines Amazon-Lagers stürzten ein und begruben viele Menschen unter sich. Zwei sehr starke Tornados legten dabei eine Strecke von 130 und 266 Kilometer zurück. Mindestens 90 Menschen kamen durch die Tornados ums Leben.

La Niña


© by NOAA. Abweichungen der Wassertemperaturen im tropischen Pazifik von den Mittelwerten, Quelle: CPC/NOAA


Das La Niña-Ereignis, das sich bereits Ende 2020 eingestellt hatte, hielt auch das ganze Jahr 2021 über an. Damit verbunden waren über dem Atlantik meist östliche Höhenwinde, die für die Hurrikanentstehung günstig waren. Das Resultat war eine deutlich überdurchschnittliche Hurrikansaison auf dem Atlantik.

Brände


© by NASA. Brände im August 2021 in Nordkalifornien.



© by NASA. Verbrannte Flächen im Sommer 2021 in Kalifornien.


Auch in diesem Jahr breiteten sich große Brände vor allem im Norden Kaliforniens aus. Extrem breitete sich das Dixie Fire aus, auch der August-Komplex aus dem Jahr 2020 ist noch zu erkennen. Beide Feuer erreichten eine Fläche von mehr als 4.000 Quadratkilometern - eine Fläche größer als der US-Bundesstaat Rhode Island und deutlich größer als das Saarland. Weitere große Brände traten in Sibirien und Griechenland auf.

Tropische Wirbelstürme


© by NHC. Die Karte zeigt die Zugbahnen aller Atlantikstürme im Jahre 2021.


Die nordatlantische Hurrikansaison 2021 gehört zu den aktivsten seit Beginn der Aufzeichnungen, zeitweise war sie sogar auf Rekordkurs. Die meisten Stürme blieben zwar schwach oder auf dem offenen Meer, einzelne trafen allerdings auch auf Land mit teils katastrophalen Auswirkungen. Einer der teuersten Hurrikane der US-Geschichte war IDA, der am 29. August genau am 16. Jahrestag des verheerenden Hurrikans KATRINA auf den Süden der USA mit der Stadt New Orleans traf. Insgesamt wurden 21 Tropische Stürme registriert, von denen sich 7 zu einem Hurrikan verstärkten. Davon erreichten 4 die Stufe 3 oder mehr auf der Saffir-Simpson-Hurrikanskala. Im langjährigen Mittel werden 11 Stürme beobachtet, davon 6 Hurrikane, von denen 2 bis 3 zu starken Hurrikanen werden.


Hurrikan LARRY am 05.09.2021 (Quelle: Tropical Tidbits)

Mehr Stürme als in diesem Jahr wurden bisher lediglich in den Jahren 2005 (28) und im Rekordjahr 2020 mit 30 Stürmen registriert, davon 13 Hurrikane. Im Jahre 1933 wurden ebenfalls 21 Stürme verzeichnet.

Wieder einmal startete die Hurrikansaison sehr früh mit dem Sturm ANA, der bereits am 22. Mai mitten auf dem Atlantik entstand. Damit ist 2021 bereits das 7. Jahr in Folge mit einem Saisonstart im Mai. Auch der Sturm BILL blieb Mitte Juni harmlos auf dem Atlantik. Anders verhielt sich der Sturm CLAUDETTE, der in der zweiten Junihälfte auf den Süden der USA traf. Es gab weit reichende Überschwemmungen und in Alabama kamen 14 Menschen ums Leben. Ende Juni traf der schwache Sturm DANNY auf die Küste des US-Bundesstaates South Carolina, dort war es der erste bekannte Junisturm seit mehr als 150 Jahren.


© by NASA. Hurrikan HENRI am 20.08.2021 (Quelle: NASA)

Anfang Juni zog der erste Hurrikan der nordatlantischen Saison durch die Karibik und über Florida hinweg in Richtung Neuengland ELSA wies zeitweise Windgeschwindigkeiten bis etwa 140 km/h auf und war der früheste fünfte Sturm, noch einige Tage vor dem bisherigen Rekord im Vorjahr. Mindestens 5 Menschen kamen ums Leben. Eine sehr ähnliche Zugbahn schlug im August der Sturm FRED ein. Mit Windgeschwindigkeiten bis über 200 km/h traf der erste starke Hurrikan der Saison am 21. August auf den mexikanischen Bundesstaat Veracruz, nachdem GRACE ebenfalls die ganze Karibik durchquert und die mexikanische Halbinsel Yucatan getroffen hatte. Wenige Tage später traf der schwache Hurrikan HENRI auf die US-Küste im Bundesstaat Rhode Island und richtete einige Schäden und schwere Überschwemmungen an.


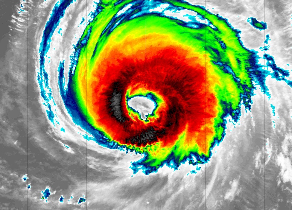
Hurrikan IDA am 02.09.2021 (Quelle: NASA/ KEPLER ISS)

Ab dem 23. August entstand in der westlichen Karibik der Sturm IDA, aus dem über dem sehr warmen Wasser des Golfs von Mexiko ein sehr starker Hurrikan der zweithöchsten Kategorie 4 mit mittleren Windgeschwindigkeiten bis etwa 240 km/h hervorging. Durch IDA gab es in den USA mindestens 95 Tote und große Schäden im höheren zweistelligen Milliardenbereich. Damit gehört der Hurrikan zu den teuersten der US-Geschichte.

Die beiden Stürme JULIAN und KATE bleiben mitten auf dem zentralen Nordatlantik schwach. Dagegen würde LARRY zu einem starken Hurrikan der Kategorie 3, der am 11.09. unter Abschwächung auf Neufundland traf. MINDY blieb ein schwacher Sturm, der durch die Karibik zum Golf von Mexiko und in den Südosten der USA zog. NICOLAS setzte als Hurrikan der Kategorie 1 Teile der texanischen Golfküste unter Wasser. Die folgenden drei Stürme mit den Namen ODETTE, PETER und ROSE blieben schwach und auf dem Atlantik.


Hurrikan SAM am 08.10.2021 (Quelle: NASA/ KEPLER ISS)

Am 22. September entstand auf dem Ostatlantik der Sturm SAM, der sich innerhalb weniger Tage zum stärksten Hurrikan des Jahres entwickelte. Zeitweise wies er mittlerweile Windgeschwindigkeiten bis etwa 250 km/h auf und wurde am oberen Ende der Kategorie 4 auf der fünfteiligen Hurrikanskala eingestuft. Der Luftdruck im Auge des Hurrikans fiel auf 929 Hektopascal. SAM blieb auf dem offenen Atlantik und streifte mit Sturmböen und Regen lediglich Bermuda. Erst am 05. Oktober wandelte sich der Hurrikan in ein außertropisches Sturmtief um. Betrachtet man die Gesamtenergie (ACE), die sich aus Stärke und Dauer des Sturms zusammensetzt, landet SAM in der Allzeitrekordliste auf Platz 7.

Ebenfalls Ende September bildeten sich noch die beiden Stürme TERESA und VICTOR, die beide auf dem offenen Meer blieben. Nach dem 05. Oktober wurden auf dem Nordatlantik vorerst keine weiteren Stürme mehr registriert. Erst Ende Oktober entstand recht weit im Norden der Sturm WANDA, der sich mehr als eine Woche lang hielt, aber kein Land bedrohte. Die Namensliste war damit nach 2005 und 2020 zum dritten Mal aufgebraucht.

Es folgt eine Übersicht mit allen Tropischen Depressionen, Tropischen Stürmen und Hurrikanen der nordatlantischen Hurrikansaison 2021:

Nr. TS/H Name Kat. Zeit Wind Druck Landfall Tote Schäden
1 T.S. ANA - 22.05.-23.05. 75  1004  --- 0 ---
2 T.S. BILL - 14.06.-15.06. 100  992  --- 0 ---
3 T.S. CLAUDETTE - 19.06.-22.06. 75  1004  Louisiana 14 n.bek.
4 T.S. DANNY - 28.06.-29.06. 75  1009  South Carolina 0 gering
5 H ELSA 1 01.07.-09.07. 140  991  Kuba, Florida 5 ca. 1.2 Mrd. US-Dollar
6 T.S. FRED - 11.08.-18.08. 100  993  Kleine Antillen, Dom-Rep., Kuba, Florida 6 ca. 1.3 Mrd. US-Dollar
7 H GRACE 3 13.08.-21.08. 205  962  Kleine Antillen, Yucatan, Mexiko n.bek. n.bek.
8 H HENRI 1 16.08.-23.08. 120  986  Rhode Island n.bek. n.bek.
9 H IDA 4 26.08.-01.09. 240  929  Kuba, Louisiana 95 ca. 64,5 Mrd. US-Dollar
10 T.S. JULIAN - 29.08.-30.08. 95  995  --- 0 ---
11 T.S. KATE - 28.08.-01.09. 75  1003  --- 0 ---
12 H LARRY 3 31.08.-11.09. 205  955  Neufundland 2 n.bek.
13 T.S. MINDY - 08.09.-10.09. 75  1002  Florida 0 gering
14 H NICHOLAS 1 12.09.-16.09. 120  988  Texas 0 ca. 2 Mrd US-Dollar
15 T.S. ODETTE - 17.09.-18.09. 75  1002  --- 0 ---
16 T.S. PETER - 19.09.-23.09. 85  1004  --- 0 ---
17 T.S. ROSE - 19.09.-23.09. 85  1003  --- 0 ---
18 H SAM 4 22.09.-05.10. 250  929  --- 0 ---
19 ST.S. TERESA - 24.09.-25.09. 75  1008  --- 0 ---
20 T.S. VICTOR - 29.09.-04.10. 100  997  --- 0 ---
21 T.S. WANDA - 31.10.-07.11. 85  987  --- 0 ---
(Alle Angaben ohne Gewähr; T.D. = Tropische Depression / hat keine Sturmstärke erreicht, T.S. = Tropischer Sturm; Kategorie nach der Saffir-Simpson-Skala, maximaler Mittelwind in km/h, Druck = tiefster festgestellter Luftdruck im Zentrum in Hektopascal).


© by NHC. Die Karte zeigt die Zugbahnen aller Ostpazifikstürme im Jahre 2021 bis Ende September.

Auf dem Nordostpazifik bildeten sich in der Hurrikansaison 2021 insgesamt 19 Stürme und damit etwas mehr als Vorjahr (17). Insgesamt 9 Stürme verstärkten sich zu Hurrikanen, davon 2 zu starken Hurrikanen ab Kategorie 3 der fünfteiligen Hurrikanskala. Betrachtet man die gesamte Energie der Stürme im Jahr 2020 ("Accumulated Cyclone Energy"), lag das Jahr 2021 deutlich unter dem langjährigen Mittel. Die stärksten Hurrikane auf dem Ostpazifik waren im Jahr 2021 der Hurrikan FELICIA im Juli mit mittleren Windgeschwindigkeiten bis etwa 130 km/h und der Hurrikan LINDA im August mit mittleren Windgeschwindigkeiten bis etwa 215 km/h. Mehrere Hurrikane erreichten die mexikanische Westküste. Im Oktober starben drei menschen, als der Hurrikan PAMELA auf die Küste traf.


© by Joint Typhoon Warning Center. Supertaifun "Goni" vor den Philippinen am 30.10.2020.

Die Taifunsaison 2021 fiel ähnlich wie im Vorjahr relativ schwach aus. Insgesamt gab es 2021 nur 22 Stürme (Vorjahr 23) und damit die wenigsten seit 2011. Es waren deutlich weniger als im Jahr 2019 (29) und weniger als im langjährigen Mittel (26 Stürme). Zahlreiche Stürme und Taifune bildeten und verstärkten sich im Bereich östlich der Philippinen. Besonders im Herbst zogen einige über die Inselgruppe hinweg richteten hier große Schäden an, zahlreiche Menschen kamen ums Leben. Von den 22 Stürmen wurden 9 (Vorjahr 11) zu Taifunen mit mittleren Windgeschwindigkeiten von 120 km/h und mehr, davon wiederum wurden 5 (Vorjahr 2) zu so genannten Supertaifunen mit 240 km/h und mehr. Schwere Verwüstungen gab es unter anderem durch den Taifun RAI auf den Philippinen.

Erdbeben


© by USGS. Sehr schweres Erdbeben am 29.07.2021 vor Alaska.

Im Jahr 2021 wurden weltweit insgesamt 3 Erdbeben der Stärke 8,0 oder mehr und 19 Erdstöße der Stärke 7,0 oder mehr registriert, das sind deutlich mehr als in den beiden Vorjahren. Das stärkste Beben des Jahres ereignete sich am 29. Juli vor der Küste von Alaska: Das unterseeische Beben erreichte nach Angaben des amerikanischen Erdbebendienstes die Stärke 8,2. Das Epizentrum lag etwa 105 Kilometer südöstlich der Ortschaft Perryville (ca. 110 Einwohner) auf der Alaska-Halbinsel und etwa 800 Kilometer südsüdwestlich der Stadt Anchorage (ca. 300.000 Einwohner). Der Erdbebenherd befand sich 30 bis 40 Kilometer unter der Oberfläche. Größere Schäden oder ein Tsunami wurden nicht gemeldet. Es war das weltweit stärkste Erdbeben seit fast 3 Jahren. Erdbeben dieser Stärke und mehr kommen im Raum Alaska gelegentlich vor, es war aber aktuell das stärkste Beben vor der Alaska-Halbinsel seit 75 Jahren.


© by USGS. Schweres Erdbeben am 14.08.2021 in Haiti.

Das folgenreichste Beben ereignete sich am 14. August (Samstag) gegen 14:29 Uhr MESZ (= 08:29 Uhr Ortszeit) im Süden Haitis in der Karibik. Der Erdstoß erreichte nach vorläufigen Angaben des amerikanischen Erdbebendienstes die Stärke 7,2. Das Epizentrum lag im Bereich der Tiburon-Halbinsel im Südwesten Haitis, etwa 45 Kilometer nordöstlich der Stadt Les Cayes (ca. 125.000 Einwohner) und etwa 125 Kilometer westlich der haitianischen Hauptstadt Port-au-Prince (ca. 1,275 Millionen Einwohner). Der Erdbebenherd befand sich rund 10 Kilometer unter der Oberfläche. Es gab große Schäden mit zahlreichen eingestürzten Gebäuden sowie mehr als 2.200 Tote. Das Beben war das stärkste bisher registrierte Erdbeben in Haiti seit Beginn der Aufzeichnungen. Am 12. Januar 2010 kamen bei einem Erdbeben nahe Port-au-Prince mehr als 200.000 Menschen ums Leben.

Vulkanausbrüche


© by NASA. Ausbruch auf La Palma im Herbst 2021.

Ein Vulkanausbruch beherrschte in 2021 zeitweise die Schlagzeilen: Nach mehr als 25.000 Erdbeben brach am Nachmittag des 19. September (Sonntag) gegen 15:20 Uhr MESZ ein Teil der Vulkankette der Cumbre Vieja im Süden der Kanareninsel La Palma aus. An mindestens 7 Stellen schleuderte der Vulkan Asche und Lavabrocken in den Himmel, auch einzelne Lavaströme wurden beobachtet, von denen zunächst einer eine kleine Wohnsiedlung erreichte. Mehr als 5.000 Menschen unter anderem in der Stadt Los Llanos an der Westküste der Insel wurden in Sicherheit gebracht. Die Insel La Palma war schon seit Jahren in den Schlagzeilen, weil einige Wissenschaftler befürchten, dass ein Teil des Vulkanhangs ins Meer stürzt und so einen gewaltigen Tsunami auf dem gesamten Nordatlantik auslösen könnte. Der Vulkanausbruch im Bereich der Cumbre Vieja hielt fast bis zum Jahresende an. Nach 10 Tagen erreichte ein Lavastrom an der Westküste das Meer, wobei sich giftige Gase bildeten. Die Schäden lagen schon nach wenigen Tagen im dreistelligen Millionenbereich.

Die langsam fließende Lava richtete in drei Monaten gewaltige Schäden an Häusern, der Infrastruktur und auf Feldern an. Gebiete, die nicht von der Lava erreicht wurden, waren mit Asche überzogen. Nach einem Bericht des Copernicus Emergency Management Service hat der Vulkanausbruch mindestens 1.600 Häuser sowie mehrals 1.000 weitere Gebäude zerstört. Die Lava bedeckt eine Fläche von mindestens 12 Quadratkilometer. Nach vorsichtigen Schätzungen belaufen sich die Schäden auf mindestens 700 bis 900 Millionen Euro. Nach drei Monaten mit großen Lavaströmen und explosiver Tätigkeit gab es Mitte Dezember Anzeichen für ein Ende der Eruption. Am 14. Dezember nahm die Erdbebentätigkrit nach Messungen des Canary Islands Volcanology Institute (INVOLCAN) drastisch ab, ebenso die explosive Tätigkeit und der Ausstoß von Schwefeldioxid. Die Lavaströme bekamen zur Ruhe. An Weihnachten wurde das Ende der Eruption erklärt.


© by NASA. Ausbruch des La Soufrière auf St. Vincent am 10.04.2021.

Weitere Vulkanausbrüche ereigneten sich unter anderem auf der Karibikinsel St. Vincent, wo im April der La Soufrière aktiv wurde. Der Ausbruch des Vulkans brachte eine Aschewolke hervor, die kilometerweit in den Himmel ragte und sich weit auf den Atlantik hinaus ausbreitete. Zuvor waren bereits etwa 16.000 Menschen auf der Insel Saint Vincent in Sicherheit gebracht worden. Es war der erste explosive Ausbruch des Vulkans seit dem Jahr 1979. Menschen kamen dabei nicht zu Schaden. Von März bis September bot der isländische Vulkan Fagradalsfjall unweit der Hauptstadt Reykjavík ein Schauspiel und wurde zum Besuchermagneten. Im Dezember kamen bei einem Ausbruch des Vulkans Semeru auf der indonesischen Insel Java mehrere Dutzend Menschen ums Leben.


Heuschrecken


© by FAO. Heuschreckenschwärme in Ostafrika und im angrenzenden Mittleren Osten im Dezember 2021.

Auch im Jahr 2021 bewegten sich riesige Heuschreckenschwärme in Ostafrika und bedrohten die Ernten und damit die Existenzgrundlage von Millionen Menschen. Betroffen waren vor allem Somalia, Äthiopien und Kenia sowie die Arabische Halbinsel. Im Laufe des Jahres verbesserte sich die Lage in den meisten Regionen, einzelne Schwärme waren aber auch noch zum Jahresende unterwegs.


Herausragende Klimaabweichungen und Wetterereignisse 2021 (Quelle: NOAA)

Nach Daten des US-Wetterdienstes NOAA war 2021 auf der Nordhalbkugel das sechstwärmste Jahr seit mindestens 1881. Betrachtet man nur die Landflächen, liegt 2021 sogar auf Platz 3 hinter 2020 und 2016. Auf der Südhalbkugel lag 2021 an neunter Stelle. Global lag die Mitteltemperatur 0,84 Grad über dem Mittel des 20. Jahrhunderts. Sämtliche Jahre von 2013 bis 2021 liegen in den Top 10 der bisher wärmsten Jahre. Außerdem war 2021 das 45. Jahr in Folge mit Temperaturen über dem Mittel des 20. Jahrhunderts. Dabei beschleunigt sich die Erwärmung immer mehr. Seit 1880 erwärmt sich die Luft global um 0,08 Grad pro Jahrzehnt, seit 1981 hat sich der Temperaturanstieg auf 0,18 Grad pro Jahrzehnt mehr als verdoppelt.

Das Jahr 2021 startete mit einem La Niña-Ereignis mit tiefen Wassertemperaturen im tropischen Ostpazifik. La Niña kühlt auch die Atmosphäre tendentiell etwas ab und so war der Februar 2021 global gesehen der kälteste der 12 Monate und zugleich der kälteste Februar seit 2014. Nach dem relativ kalten Februar fielen alle weiteren Monate deutlich wärmer aus.


© by NOAA. Abweichungen der Temperaturen 2021 vom langjährigen Mittel der Jahre 1981-2010.

Das Jahr 2021 war geprägt durch deutlich wärmere Temperaturen nahezu weltweit. Rekordwerte wurden unter anderem in Nordafrika, im südlichen Asien, im südlichen Südamerika sowie in Teilen des Atlantiks und des Pazifiks erreicht. Kühlere Temperaturen als im Mittel beschränkten sich weitgehend auf Teile des zentralen und östlichen tropischen Pazifiks, hervorgerufen durch La Niña. Negative Rekorde wurden über das Jahr gerechnet nirgends gemessen.

In Nordamerika steht 2021 mit einer Abweichung von 1,4 Grad an siebenter Stelle der wärmsten Jahre. Neun der zehn wärmsten Jahre traten seit 2001 auf. Das Jahr startete bereits sehr mild, bevor es im Februar einen massiven Kälteeinbruch gab. Dabei würden in den kanadischen Prärien teilweise Höchsttemperaturen von -34 Grad gemessen. Nachts lag die Windchilltemperatur oft bei -45 bis -55 Grad und brach langjährige Rekorde. Die Folge waren große Schäden und Einschränkungen im öffentlichen Leben. Die Monate März und Juni bis Oktober gehörten jeweils zu den 10 wärmsten seit Aufzeichnungsbeginn. Der Juni war mit einer Abweichung von 2,0 Grad in Nordamerika der bisher wärmste registrierte erste Sommermonat. In Lytton in der kanadischen Provinz British Columbia wurde an drei aufeinander folgenden Tagen neue Temperaturrekorde aufgestellt, der Höchstwert liegt nun in bei 49,6 Grad. Große Teile des Ortes wurden durch ein Feuer vernichtet und durch die Hitze müssten im Westen Kanadas fast 800 Menschen in Krankenhäuser eingeliefert werden; viele starben sogar. Auch die Ernte litt unter Hitze und Trockenheit. Auf Hawaii würde das kühlste Jahr seit 2012 registriert. Ein neuer Temperaturrekord würde aus Mexiko gemeldet: In Mexicali im Nordwesten des Landes wurden am 03 08.2021 extrem heiße 50,4 Grad erreicht.

In Südamerika war 2021 mit einer Abweichung von 1,1 Grad das sechstwärmste seit Aufzeichnungsbeginn. Es war zudem das 45. Jahr in Folge mit überdurchschnittlichen Temperaturen. Besonders warm war der September, der nach dem August 2015 die bisher zweithöchste Abweichung in einem Monat überhaupt aufwies.

In Europa war 2021 mit einer Abweichung von 1,3 Grad das neuntwärmste Jahr seit Beginn der Aufzeichnungen. Die 10 wärmsten Jahre traten alle seit 2007 auf. Seit 1910 stieg die Temperatur um 0,15 Grad pro Jahrzehnt an, seit 1981 hat sich der Anstieg auf 0,45 Grad pro Jahrzehnt verdreifacht. Anders als im Rekordjahr 2020 lagen in 2021 sämtliche Monate über dem Durchschnitt. Dennoch wurden der kälteste April seit 2003 und der kühlste Mai seit 204 verzeichnet. In Teilen Sloweniens war es der kälteste April seit mehr als 100 Jahren. In Nova Vas im südlichen Slowenien wurde mit -20,6 Grad der alte Landesrekord aus dem April 1956 gebrochen. Es gab große Schäden an der Vegetation. Dagegen war der Juni 2021 nach 2019 der zweitwärmste. Der Juli war besonders in Nord- und Osteuropa sehr warm, europaweit landete der Juli auf Platz 3. In der zweiten Augustwoche erfasste eine extreme Hitzewelle Teile von Südeuropa und Nordafrika mit Höchsttemperaturen zum Teil über 45 Grad. Der Höchstwert von 48,8 Grad im sizilianischen Syrakus ist bislang nicht offiziell bestätigt - es wäre der bisher höchste gemessene Wert in Europa. Der alte Rekord war am 10.07.1977 mit 48,0 Grad an zwei Orten in Griechenland aufgestellt worden. In Österreich war 2021 das kühlste Jahr seit 2010. Es lag leicht unter dem Mittel der Jahre 1991-2020 und gehört trotzdem zu den 25 wärmsten seit 1768.

Mit einer Abweichung von 1,33 Grad über dem Mittel war 2021 in Afrika das bisher drittwärmste Jahr seit Aufzeichnungsbeginn. Wärmer waren nur 2016 und 2010. Die 10 wärmsten Jahre traten alle seit 2005 auf. Auch in Afrika war 2021 das 45. Jahr in Folge mit überdurchschnittlichen Temperaturen. Rekordwärme brachten vor allem Januar, Juni und November. In Tunis (Tunesien, Nordafrika) wurden im August 49,0 Grad gemessen - ein neuer Augustrekord für Tunesien.

In Asien lag die Abweichung bei 1,6 Grad über dem langjährigen Mittel der Jahre 1910-2000. Damit steht 2021 an 7. Stelle. Die ersten drei Monate waren nach Norden hin deutlich kälter, sonst eher wärmer als im Mittel. Bei einem kurzzeitigen Warmluftverstoß wurde am 20. Februar in Peking mit 20,8 Grad und direkt am folgenden Tag mit 25,6 Grad jeweils ein neuer Februarrekord gemessen. Die durchschnittliche Höchsttemperatur liegt in Peking im Februar bei 4 Grad. Auch in der südkoreanischen Stadt Pohang wurde mit 24,9 Grad ein neuer Februarrekord aufgestellt. Im Mai und im Sommer lagen die Temperaturen in weiten Teilen Asiens deutlich über dem Mittel. Der Juli war in Asien der wärmste seit Aufzeichnungsbeginn. Mit 24,6 Grad wurde in Hong Kong das bisher höchste Jahresmittel registriert. In Ozeanien lag die Temperatur dagegen nur 0,67 Grad über dem Mittel - das kühlste Jahr seit 2012. Vor allem der Herbst war recht kühl und der November war der kühlste seit 1999.


© by NOAA. Abweichungen der Niederschläge 2021 vom langjährigen Mittel der Jahre 1981-2010.

Wie üblich gab es bei der Niederschlagsverteilung wieder große regionale Unterschiede. Vor allem im Westen der USA, im südlichen Südamerika, in Nordafrika, im Mittleren Osten und auf einigen Pazifikinseln war es wesentlich trockener als im langjährigen Mittel. Deutlich mehr Niederschlag fiel im nördlichen Südamerika, in Osteuropa, an den West- und Ostküsten Australiens und in Teilen Südasiens.

Am 20. Juli fielen in Zhengzhou in der chinesischen Provinz Henan 382 Liter Regen pro Quadratmeter und damit mehr als die Hälfte der durchschnittlichen Jahresmenge - innerhalb von nur 6 Stunden und 640 Liter innerhalb von vier Tagen. Die Folge waren massive Überschwemmungen und mehr als 20 Tote.

Eine schwere Dürre herrschte in diesem Jahr im zentralen und südlichen Brasilien, sie entwickelte zu einer der schlimmsten Dürren der vergangenen Jahrhunderte. Die Folge waren gebietsweise Trinkwassermangel, ausbreitende Brände und Ernteverluste. Auch die Energieversorgung wurde beeinträchtigt, da Stauseen kaum noch gefüllt waren. Am 27. September verringerte ein Staubsturm in Sao Paulo die Sichtweiten drastisch.

Anfang Oktober fielen in Norditalien enorme Regenmengen, die Überschwemmungen und Erdrutsche auslösten. Nach einer Meldung des italienischen Wetterdienstes kamen in Rossoglione, nördlich der Stadt Genua in Ligurien im Nordwesten des Landes, in nur einer Stunde 181 Liter, in 12 Stunden 700 Liter und in 24 Stunden 848 Liter Regen pro Quadratmeter zusammen. Ein Medicane - ein tropischer Wirbelsturm im Mittelmeerraum - löste in Algerien, Tunesien und Süditalien Ende Oktober heftige Regenfälle mit schweren Überschwemmungen aus

Mitte November wurden in der kanadischen Provinz British Columbia große Regenmengen gemessen, es gab gefährliche Überflutungen und Erdrutsche. Laut Environment Canada fiel am 14. November in Abbotsford die Rekordmenge von 100,4 Liter pro Quadratmeter innerhalb von 24 Stunden. Der alte Rekord mit 48,9 Litern wurde im Jahre 1998 registriert.

Am 16. Dezember traf der Supertaifun RAI die südlichen Philippinen, wo es schwere Verwüstungen durch Wind und Starkregen gab. Dabei kamen etwa 400 Menschen ums Leben und mehr als 1.000 weitere wurden verletzt. Nach kurzer Abschwächung verstärkte sich der Taifun erneut und entsprach einem Hurrikan der höchsten Kategorie 5. RAI war im Südchinesischen Meer der erste Supertaifun in einem Dezember seit 1961.


Einzelne besondere Ereignisse

Nachfolgend werden einige ausgewählte Naturkatastrophen des Jahres 2021 aufgelistet. Dazu gibt es jeweils einen Hinweis auf die zugehörige Internetseite mit weiteren Informationen.

Coronavirus Coronavirus SARS-CoV-2 / Covid-19

Schon Ende 2019 trat in China das Coronavirus SARS-CoV-2 auf und löste erste Covid-19-Erkrankungen aus. Das Virus breitete sich in 2020 und auch in 2021 weltweit aus und infizierte viele Millionen Menschen. Der Kampf gegen das Virus beherrschte auch im gesamten Jahr 2021 die Nachrichten. MEHR

Indonesien Schweres Erdbeben in Indonesien

(Mittwoch, 29.12.21) Am Mittwoch hat gegen 19:26 Uhr MEZ (= 03:26 Uhr Ortszeit am Donnerstag) ein schweres Erdbeben Teile Indonesiens erschüttert. Das unterseeische Beben erreichte nach vorläufigen Angaben des amerikanischen Erdbebendienstes die Stärke 7,3. Das Epizentrum lag etwa 245 Kilometer ostnordöstlich von Dili (ca. 150.000 Einwohner) in Osttimor. Der Erdbebenherd befand sich 160 bis 170 Kilometer unter der Oberfläche. Größere Schäden oder ein Tsunami wurden nicht gemeldet. MEHR

La Palma La Palma: Vulkanausbruch endet mit verheerender Bilanz

La Palma: Ende des Vulkanausbruchs. Nach 3 Monaten wurde der Vulkanausbruch auf der Kanareninsel La Palma an Weihnachten von der Regionalregierung - zumindest vorerst - für beendet erklärt. Die Bilanz ist verheerend. MEHR

Indonesien Schweres Erdbeben in Indonesien

(Dienstag, 14.12.21) Am Dienstag hat gegen 04:20 Uhr MEZ (= 11:20 Uhr Ortszeit) ein schweres Erdbeben Teile Indonesiens erschüttert. Das unterseeische Beben erreichte nach vorläufigen Angaben des amerikanischen Erdbebendienstes die Stärke 7,3. Das Epizentrum lag nördlich der Insel Flores, etwa 115 Kilometer nördlich von Maumere (ca. 70.000 Einwohner). Der Erdbebenherd befand sich 15 bis 20 Kilometer unter der Oberfläche. Größere Schäden oder ein Tsunami wurden nicht gemeldet. MEHR

Sibirien Unter -60 Grad in Sibirien

Eisige Temperaturen unter -50 Grad kommen im Winter in Sibirien in jedem Winter vor. Im Dezember 2021 herrschte aber in Teilen Sibiriens eine extreme Kältewelle und in dem kleinen Ort Delyankir wurde in der Nacht zum 09. Dezember ein Tiefstwert von -61,1 Grad gemessen. Das ist die tiefste Dezembertemperatur in Sibirien seit 1984. MEHR

Peru Sehr schweres Erdbeben in Peru

(Sonntag, 28.11.21) Am Sonntag hat gegen 11:52 Uhr MEZ (= 05:52 Uhr Ortszeit) ein sehr schweres Erdbeben den Norden Perus in Südamerika erschüttert. Das Beben erreichte nach vorläufigen Angaben des amerikanischen Erdbebendienstes die Stärke 7,5. Das Epizentrum lag etwa 45 Kilometer nordnordwestlich von Barranca (ca. 6.000 Einwohner) und etwa 270 Kilometer östlich der Stadt Loja (ca. 117.000 Einwohner) in Ecuador. Der Erdbebenherd befand sich 110 bis 120 Kilometer unter der Oberfläche. Das Beben war in weitem Umkreis deutlich zu spüren, größere Schäden wurden aber wegen der großen Herdtiefe nur vereinzelt gemeldet. MEHR

Niedrigwasser Sonnensturm und Polarlichtchancen

Ein starker Sonnensturm ereignete sich am 28. Oktober. Da sich die auslösende Sonnenfleckengruppe etwa in der Mitte der sichtbaren Sonnenscheibe befand, war die ausgeworfene Teilchenwolke erdgerichtet. Überlagerungen mit anderen, schwächeren Sonnenstürmen und schlechte Wetterbedingungen verhinderten ein großes Spektakel, einzelne Polarlichtsichtungen gab es in Norddeutschland. MEHR

Niedrigwasser Niedrigwasser an Flüssen und Stauseen

Auch wenn das Wetter in Deutschland im Herbst recht wechselhaft war, so kamen nur vereinzelt größere Regenmengen zusammen. Damit sanken die Pegel der meisten Flüsse deutlich ab und auch in den Stauseen sanken die Wasserstände langsam ab. Am Oberrhein fehlte gegenüber den langjährigen Mittelwerten mehr als ein Meter. MEHR

Indonesien Starkes Erdbeben auf Bali

(Freitag, 15.10.21) Am Freitag hat gegen 22:18 Uhr MESZ (= 04:18 Uhr Ortszeit am Samstag) ein starkes Erdbeben die indonesische Insel Bali erschüttert. Das Beben erreichte nach vorläufigen Angaben des amerikanischen Erdbebendienstes die Stärke 5,1. Das Epizentrum lag etwa 20 Kilometer nordwestlich der Stadt Bedugul (ca. 20.000 Einwohner) und etwa 40 Kilometer nordöstlich der Stadt Denpasar (ca. 835.000 Einwohner). Der Erdbebenherd befand sich rund 105 Kilometer unter der Oberfläche. Es gab Erdrutsche und Felsstürze, mehrere Häuser stürzten ein. Dabei kamen mindestens 3 Menschen ums Leben, weitere 7 wurden verletzt. MEHR

Griechenland Erneut schweres Erdbeben auf Kreta

(Dienstag, 12.10.21) Am Dienstag hat gegen 11:24 Uhr MESZ (= 12:24 Uhr Ortszeit) erneut ein schweres Erdbeben die griechische Insel Kreta erschüttert. Das Beben erreichte nach vorläufigen Angaben des amerikanischen Erdbebendienstes die Stärke 6,4. Das Epizentrum lag im Osten der Insel, nahe der Ortschaft Palekastro (ca. 1.100 Einwohner) und etwa 100 Kilometer östlich der Stadt Heraklion (ca. 137.000 Einwohner). Der Erdbebenherd befand sich rund 10 Kilometer unter der Oberfläche. Erst am 27. September kam bei einem Erdstoß der Stärke 6,0 bei Heraklion ein Mensch ums Leben. MEHR

Pakistan Starkes Erdbeben in Pakistan

(Donnerstag, 07.10.21) Am Donnerstag hat gegen 00:01 Uhr MESZ (= 03:01 Uhr Ortszeit) ein starkes Erdbeben Teile Pakistans erschüttert. Das Beben erreichte nach vorläufigen Angaben des amerikanischen Erdbebendienstes die Stärke 5,9. Das Epizentrum lag etwa 15 Kilometer nordnordöstlich von Harnai (ca. 11.000 Einwohner) und etwa 100 Kilometer östlich der Stadt Quetta (ca. 735.000 Einwohner). Der Erdbebenherd befand sich rund 10 Kilometer unter der Oberfläche. Es wurden mindestens 20 Tote und Hunderte Verletzte gemeldet. Stärkere Erdbeben kommen in Pakistan häufiger vor, am 30.05.1935 kamen in Quetta in der Provinz Belutschistan bei einem Erdstoß der Stärke 7,5 etwa 30.000 Menschen ums Leben. MEHR

Fidschi Schweres Erdbeben bei den Fidschiinseln

(Samstag, 02.10.21) Am Samstag hat gegen 08:29 Uhr MESZ (= 19:29 Uhr Ortszeit) ein schweres Erdbeben den Meeresboden bei den Fidschiinseln im Südpazifik erschüttert. Das unterseeische Beben erreichte nach vorläufigen Angaben des amerikanischen Erdbebendienstes die Stärke 7,3. Das Epizentrum lag etwa 500 Kilometer südwestlich der Hauptstadt Suva (ca. 77.000 Einwohner) und etwa 1.500 Kilometer nördlich der neuseeländischen Nordinsel. Der Erdbebenherd befand sich 530 bis 540 Kilometer unter der Oberfläche. Schäden oder ein Tsunami wurden nicht gemeldet. MEHR

La Palma La Palma: Lava hat Meer erreicht

Auf der Kanareninsel La Palma hält der Vulkanausbruch im Bereich der Cumbre Vieja an. Nach 10 Tagen erreichte ein Lavastrom an der Westküste das Meer, wobei sich giftige Gase bilden können. Zuvor sind durch Lava etwa 600 Gebäude zerstört worden und die Schäden liegen mittlerweile im dreistelligen Millionenbereich. MEHR

Griechenland Schweres Erdbeben auf Kreta

(Montag, 27.09.21) Am Montag hat gegen 08:17 Uhr MESZ (= 09:17 Uhr Ortszeit) ein schweres Erdbeben die griechische Insel Kreta erschüttert. Das Beben erreichte nach vorläufigen Angaben des amerikanischen Erdbebendienstes die Stärke 6,0. Das Epizentrum lag Im Inselinneren, etwa 15 Kilometer südöstlich der Stadt Heraklion (ca. 137.000 Einwohner). Der Erdbebenherd befand sich 5 bis 10 Kilometer unter der Oberfläche. Aus Heraklion und der Umgebung werden verbreitet Schäden gemeldet, einzelne Gebäude sollen eingestürzt sein. MEHR

Australien Starkes Erdbeben im Südosten Australiens

(Mittwoch, 22.09.21) Am Mittwoch hat gegen 01:16 Uhr MESZ (= 09:16 Uhr Ortszeit) ein starkes Erdbeben den Südosten Australiens erschüttert. Das Beben erreichte nach vorläufigen Angaben des amerikanischen Erdbebendienstes die Stärke 5,9. Das Epizentrum lag etwa 40 Kilometer südlich von Mount Buller (ca. 2.500 Einwohner) und etwa 130 Kilometer ostnordöstlich von Melbourne (ca. 4,25 Millionen Einwohner). Der Erdbebenherd befand sich rund 10 Kilometer unter der Oberfläche. Aus einigen Orten wurden Schäden an Gebäuden, aber keine Opfer gemeldet. Es war das stärkste Beben im Südosten Australiens seit Beginn der Aufzeichnungen. MEHR

CHANTHU Supertaifun CHANTHU streift Taiwan

Mit fast unvorstellbaren Windgeschwindigkeiten bis etwa 275 km/h und geschätzten Böen bis etwa 325 km/h streifte der Supertaifun CHANTHU den äußersten Norden der philippinischen Insel Luzon und danach die Insel Taiwan. MEHR

Mexiko Schweres Erdbeben in Mexiko

(Mittwoch, 08.09.21) Am Mittwoch hat gegen 03:47 Uhr MESZ (= 20:47 Uhr Ortszeit am Dienstagabend) ein schweres Erdbeben die mexikanische Pazifikküste bei Acapulco erschüttert. Das Beben erreichte nach vorläufigen Angaben des amerikanischen Erdbebendienstes die Stärke 7,0. Das Epizentrum lag etwa 20 Kilometer nordöstlich der Stadt Acapulco de Juárez (ca. 750.000 Einwohner) im Bundesstaat Guerrero. Der Erdbebenherd befand sich 10 bis 20 Kilometer unter der Oberfläche. Aus Acapulco und der Umgebung wurden verbreitet Schäden gemeldet, mindestens ein Mensch kam ums Leben. MEHR

LARRY Hurrikan LARRY bei Bermuda

Mitten auf dem Atlantik entwickelte sich LARRY Anfang September zu einem eindrucksvollen Hurrikan mit mittleren Windgeschwindigkeiten bis etwa 200 km/h. Der Hurrikan zog aber dicht östlich von Bermuda vorbei, streifte diese mit Sturmböen und meterhohen Wellen. MEHR

IDA Hurrikan IDA trifft auf Louisiana

Nach monatelanger Trockenheit brachen in der Türkei Ende Juli 2021 zahlreiche größere Brände aus, die zu den schlimmsten der vergangenen Jahrzehnte gehören. In 30 türkischen Provinzen wurden mehr als 130 Waldbrände registriert. MEHR

Südatlantik Weiteres schweres Erdbeben unter dem Südatlantik

(Sonntag, 22.08.21) Am Sonntag hat gegen 23:33 Uhr MESZ (= 19:33 Uhr Ortszeit) ein weiteres schweres Erdbeben den Meeresboden bei den South Sandwich Islands im Südatlantik erschüttert. Das unterseeische Beben erreichte nach vorläufigen Angaben des amerikanischen Erdbebendienstes die Stärke 7,1. Das Epizentrum lag bei den South Sandwich Islands, etwa 2.590 Kilometer östlich von Ushuaia in Argentinien. Der Erdbebenherd befand sich 10 bis 15 Kilometer unter der Oberfläche. Schäden oder ein Tsunami wurden nicht gemeldet. Der Meeresboden in der Region wird häufig von schweren Beben erschüttert. Es handelte sich um ein Nachbeben nach dem sehr schweren Erdstoß der Stärke 8,1 am 12. August, dem bisher stärksten im Bereich der Inselgruppe. MEHR

Haiti Schweres Erdbeben in Haiti

(Samstag, 14.08.21) Am Samstag hat gegen 14:29 Uhr MESZ (= 08:29 Uhr Ortszeit) ein schweres Erdbeben den Süden Haitis in der Karibik erschüttert. Das Beben erreichte nach vorläufigen Angaben des amerikanischen Erdbebendienstes die Stärke 7,2. Das Epizentrum lag im Bereich der Tiburon-Halbinsel im Südwesten Haitis, etwa 45 Kilometer nordöstlich der Stadt Les Cayes (ca. 125.000 Einwohner) und etwa 125 Kilometer westlich der haitianischen Hauptstadt Port-au-Prince (ca. 1,275 Millionen Einwohner). Der Erdbebenherd befand sich rund 10 Kilometer unter der Oberfläche. Es gab große Schäden mit zahlreichen eingestürzten Gebäuden sowie mehr als 2.200 Tote. Das Beben war das stärkste bisher registrierte Erdbeben in Haiti seit Beginn der Aufzeichnungen. Am 12. Januar 2010 kamen bei einem Erdbeben nahe Port-au-Prince mehr als 200.000 Menschen ums Leben. MEHR

Südatlantik Schweres Erdbeben unter dem Südatlantik

(Donnerstag, 12.08.21) Am Donnerstag hat gegen 20:33 Uhr MESZ (= 16:33 Uhr Ortszeit) ein sehr schweres Erdbeben den Meeresboden bei den South Sandwich Islands im Südatlantik erschüttert. Das unterseeische Beben erreichte nach vorläufigen Angaben des amerikanischen Erdbebendienstes die Stärke 8,1. Das Epizentrum lag bei den South Sandwich Islands, etwa 2.600 Kilometer östlich von Ushuaia in Argentinien. Der Erdbebenherd befand sich 60 bis 70 Kilometer unter der Oberfläche. Schäden oder ein Tsunami wurden nicht gemeldet. Der Meeresboden in der Region wird häufig von Beben der Stärke 6 bis 7 erschüttert, zuletzt am 03. April mit der Stärke 6,6. Am 11. Dezember 2018 erschütterte ein Erdstoß der Stärke 7,1 die South Sandwich Islands, im Mai 1964 trat ein Beben der Stärke 7,8 auf. Das aktuelle Beben war das stärkste bei der Inselgruppe seit Beginn der Aufzeichnungen. Gut zwei Minuten nach einem Vorbeben der Stärke 7,5 folgte das Hauptbeben der Stärke 8,1. MEHR

Philippinen Schweres Erdbeben bei den Philippinen

(Mittwoch, 11.08.21) Am Mittwoch hat gegen 19:46 Uhr MESZ (= 01:46 Uhr Ortszeit am Donnerstag) ein schweres Erdbeben den Meeresboden bei den Philippinen erschüttert. Das unterseeische Beben erreichte nach vorläufigen Angaben des amerikanischen Erdbebendienstes die Stärke 7,1. Das Epizentrum lag vor der Südostküste der Insel Mindanao, etwa 80 Kilometer südöstlich der Stadt Mari (ca. 106.000 Einwohner) und etwa 140 Kilometer südöstlich der Stadt Davao (ca. 1,2 Millionen Einwohner). Der Erdbebenherd befand sich 60 bis 70 Kilometer unter der Oberfläche. Größere Schäden oder ein Tsunami wurden nicht gemeldet. MEHR

Waldbrände Waldbrände im Mittelmeerraum

Nach monatelanger Trockenheit brachen in der Türkei Ende Juli 2021 zahlreiche größere Brände aus, die zu den schlimmsten der vergangenen Jahrzehnte gehören. In 30 türkischen Provinzen wurden mehr als 130 Waldbrände registriert. MEHR

Alaska Sehr schweres Erdbeben vor Alaska

(Donnerstag, 29.07.21) Am Donnerstag hat gegen 08:15 Uhr MESZ (= 22:15 Uhr Ortszeit am Mittwochabend) ein sehr schweres Erdbeben den Meeresboden vor Alaska erschüttert. Das unterseeische Beben erreichte nach vorläufigen Angaben des amerikanischen Erdbebendienstes die Stärke 8,2. Das Epizentrum lag etwa 105 Kilometer südöstlich der Ortschaft Perryville (ca. 110 Einwohner) auf der Alaska-Halbinsel und etwa 800 Kilometer südsüdwestlich der Stadt Anchorage (ca. 300.000 Einwohner). Der Erdbebenherd befand sich 30 bis 40 Kilometer unter der Oberfläche. Größere Schäden oder ein Tsunami wurden nicht gemeldet. Es war das weltweit stärkste Erdbeben seit fast 3 Jahren. Erdbeben dieser Stärke und mehr kommen im Raum Alaska gelegentlich vor, es war aber aktuell das stärkste Beben vor der Alaska-Halbinsel seit 75 Jahren. MEHR

Hurrikansaison Hurrikansaison auf Rekordkurs

Auf dem Atlantik bildete sich am 01. Juli bereits der fünfte Tropensturm der nordatlantischen Hurrikansaison. ELSA verstärkte sich mit mittleren Windgeschwindigkeiten bis etwa 120 km/h zum ersten Hurrikan der Saison. ELSA war der früheste fünfte Sturm seit Beginn der Aufzeichnungen. MEHR

Mexiko Extreme Dürre in Mexiko

Eine der schlimmsten Dürren in der Geschichte des Landes suchte in 2021 weite Teile Mexikos heim. Mitte April 2021 waren fast 85 Prozent des fast zwei Millionen Quadratkilometer großen Landes betroffen und die Dürre setzte sich fort. Größe Wasserreservoire wiesen außergewöhnlich niedrige Wasserstände auf. MEHR

China Schweres Erdbeben im Westen Chinas

(Freitag, 21.05.21) Am Freitag hat gegen 20:04 Uhr MESZ (= 02:04 Uhr Ortszeit am Samstag) ein schweres Erdbeben Teile Chinas erschüttert. Das Beben erreichte nach vorläufigen Angaben des amerikanischen Erdbebendienstes die Stärke 7,3. Das Epizentrum lag in einer dünn besiedelten Region, etwa 390 Kilometer südwestlich der Stadt Xining (ca. 770.000 Einwohner) in der Provinz Quinghai. Der Erdbebenherd befand sich rund 10 Kilometer unter der Oberfläche. Größere Schäden wurden nicht gemeldet. MEHR

China Schweres Erdbeben im Südwesten Chinas

(Freitag, 21.05.21) Am Freitag hat gegen 15:48 Uhr MESZ (= 21:58 Uhr Ortszeit) ein schweres Erdbeben Teile Chinas erschüttert. Das Beben erreichte nach vorläufigen Angaben des amerikanischen Erdbebendienstes die Stärke 6,1. Das Epizentrum lag etwa 30 Kilometer nordwestlich der Stadt Dali (ca. 134.000 Einwohner) in der Provinz Yunnan und etwa 125 Kilometer südlich der Stadt Lijiang (ca. 1,14 Mio. Einwohner). Der Erdbebenherd befand sich 10 bis 15 Kilometer unter der Oberfläche. Es gab erhebliche Schäden, mindestens 3 Tote und Dutzende Verletzte. MEHR

La Soufrière Aschewolke über der Karibik

Der Ausbruch des Vulkans La Soufrière in der Karibik brachte eine Aschewolke hervor, die kilometerweit in den Himmel ragte und sich weit auf den Atlantik hinaus ausbreitete. Zuvor waren bereits etwa 16.000 Menschen auf der Insel Saint Vincent in Sicherheit gebracht worden. Es war der erste explosive Ausbruch des Vulkans seit dem Jahr 1979. MEHR

Österreich Leichtes Erdbeben in Österreich

(Dienstag, 30.03.21) Am Dienstag hat gegen 18:25 Uhr MESZ (Ortszeit) ein leichtes Erdbeben Teile Österreichs erschüttert. Das Beben erreichte nach vorläufigen Angaben des österreichischen Erdbebendienstes die Stärke 4,6. Das Epizentrum lag bei Neunkirchen (ca. 12.000 Einwohner), etwa 10 Kilometer südwestlich von Wiener Neustadt (ca. 45.000 Einwohner) und etwa 50 Kilometer südsüdwestlich der österreichischen Hauptstadt Wien. Der Erdbebenherd befand sich rund 10 Kilometer unter der Oberfläche. Größere Schäden wurden nicht gemeldet. MEHR

Schwäbische Alb Leichtes Erdbeben auf der Schwäbischen Alb

(Sonntag, 21.03.21) Am Sonntag hat gegen 18:37 Uhr MEZ (Ortszeit) ein leichtes Erdbeben die Schwäbische Alb in Baden-Württemberg erschüttert. Das Beben erreichte nach vorläufigen Angaben des geologischen Landesdienstes in Baden-Württemberg die Stärke 3,7. Das Epizentrum lag bei Jungingen, etwa 12 Kilometer nördlich von Albstadt (ca. 47.000 Einwohner). Der Erdbebenherd befand sich rund 8 Kilometer unter der Oberfläche. Größere Schäden wurden nicht gemeldet. MEHR

Japan Schweres Erdbeben vor Japan

(Samstag, 20.03.21) Am Samstag hat gegen 10:10 Uhr MEZ (= 18:10 Uhr Ortszeit) ein schweres Erdbeben den Meeresboden dicht vor der Ostküste der japanischen Insel Honschu erschüttert. Das unterseeische Beben erreichte nach vorläufigen Angaben des amerikanischen Erdbebendienstes die Stärke 7,0. Das Epizentrum lag etwa 27 Kilometer ostnordöstlich von Ishinomaki (ca. 117.000 Einwohner) und etwa 70 Kilometer nordöstlich der Stadt Sendai (ca. 1,06 Mio. Einwohner). Der Erdbebenherd befand sich 50 bis 60 Kilometer unter der Oberfläche. Größere Schäden oder ein Tsunami wurden nicht gemeldet. MEHR

Ätna Ausbruch des Ätna

Der Ätna auf der süditalienischen Insel Sizilien machte auch in diesem Jahr immer wieder Schlagzeilen mit einem spektakulären Blick von der ISS. Die weißen Teile in der Eruptionssäule lassen darauf schließen, dass in dem aufsteigenden Gemisch aus Asche, Luft und Lava Wasser kondensiert, ganz wie bei normalen Wolken. Die Eruptionssäule wurde vom Wind nach Osten geweht und ließ Asche und sogar Steine auf die umliegenden Orte regnen. MEHR

Kermadec Sehr schweres Erdbeben bei Neuseeland

(Donnerstag, 04.03.21) Am Donnerstag hat gegen 20:28 Uhr MEZ (= 08:28 Uhr Ortszeit am Freitag) ein sehr schweres Erdbeben den Meeresboden nordöstlich von Neuseeland erschüttert. Das unterseeische Beben erreichte nach vorläufigen Angaben des amerikanischen Erdbebendienstes die Stärke 8,1. Das Epizentrum lag bei den Kermadec Islands, etwa 1.125 Kilometer nordöstlich der neuseeländischen Nordinsel. Der Erdbebenherd befand sich rund 10 Kilometer unter der Oberfläche. Für die Region um Neuseeland wurden Tsunamiwarnungen ausgegeben. Knapp zwei Stunden zuvor gab es ein Vorbeben der Stärke 7,4. MEHR

Kermadec Schweres Erdbeben bei Neuseeland

(Donnerstag, 04.03.21) Am Donnerstag hat gegen 18:41 Uhr MEZ (= 06:41 Uhr Ortszeit am Freitag) ein schweres Erdbeben den Meeresboden bei Neuseeland im Südwestpazifik erschüttert. Das unterseeische Beben erreichte nach vorläufigen Angaben des amerikanischen Erdbebendienstes die Stärke 7,4. Das Epizentrum lag dicht südlich von Raoul Island in den Kermadec Islands und etwa 1000 Kilometer nordöstlich der neuseeländischen Nordinsel. Der Erdbebenherd befand sich 50 bis 60 Kilometer unter der Oberfläche. Schäden wurden nicht gemeldet und nur ein kleinerer Tsunami registriert. MEHR

Neuseeland Schweres Erdbeben bei Neuseeland

(Donnerstag, 04.03.21) Am Donnerstag hat gegen 14:27 Uhr MEZ (= 02:27 Uhr Ortszeit am Freitag) ein schweres Erdbeben den Meeresboden bei der neuseeländischen Nordinsel erschüttert. Das unterseeische Beben erreichte nach vorläufigen Angaben des amerikanischen Erdbebendienstes die Stärke 7,3. Das Epizentrum lag vor der Ostküste der Nordinsel, etwa 180 Kilometer nordöstlich der Stadt Gisborne (ca. 35.000 Einwohner). Der Erdbebenherd befand sich rund 10 Kilometer unter der Oberfläche. An den Küsten Neuseelands wurde stellenweise ein kleinerer Tsunami registriert, größere Schäden wurden aber nicht gemeldet. MEHR

Island Erdbebenserie im Südwesten Islands

(Mittwoch, 24.02.21) Am Mittwoch hat eine Erdbebenserie die Hauptstadtregion um Reykjavik im Südwesten Islands erschüttert. Das stärkste Beben ereignete sich gegen 11:06 Uhr MEZ (= 10:06 Uhr Ortszeit) und erreichte nach vorläufigen Angaben des amerikanischen Erdbebendienstes die Stärke 5,6. Das Epizentrum lag im Bereich der Reykjanes-Halbinsel, nahe der Ortschaft Grindavík (ca. 2.800 Einwohner) und etwa 40 Kilometer südwestlich der Hauptstadt Reykjavik (ca. 118.000 Einwohner). Der Erdbebenherd befand sich rund 10 Kilometer unter der Oberfläche. Das Hauptbeben und mehrere weitere Erdstöße waren in der gesamten Hauptstadtregion deutlich zu spüren, kleinere Schäden sind möglich. MEHR

Antarktis Antarktis: Neuer Rieseneisberg

Am 26. Februar wurde der Abbruch zuerst mit GPS-Daten festgestellt und am folgenden Tag mit Radardaten des Satelliten Sentinel-1A der ESA bestätigt. Am 01. März gaben schließlich große Wolkenlücken den Blick frei auf den Eisgiganten. MEHR

Wintereinbruch Erste Februarhälfte mit Extremwinter

Ein markanter Wintereinbruch, der zunächst den Norden und im Laufe der zweiten Februarwoche auch den Süden Deutschlands erfasste, legte Teile des öffentlichen Lebens lahm. Auf vielen Straßen und Schienen ging zeitweise nichts mehr. MEHR

Japan Schweres Erdbeben vor Japan

(Samstag, 13.02.21) Am Samstag hat gegen 15:08 Uhr MEZ (= 23:08 Uhr Ortszeit) ein schweres Erdbeben den Meeresboden vor der Ostküste der japanischen Hauptinsel Honschu erschüttert. Das unterseeische Beben erreichte nach vorläufigen Angaben des amerikanischen Erdbebendienstes die Stärke 7,1. Das Epizentrum lag etwa 90 Kilometer ostnordöstlich der Küstenstadt Namie (ca. 22.000 Einwohner) in der Provinz Fukushima und etwa 120 Kilometer ostsüdöstlich der Millionenstadt Sendai im Norden der Insel Honschu. Der Erdbebenherd befand sich 50 bis 60 Kilometer unter der Oberfläche. Das Beben war an Land deutlich zu spüren und es gab große Schäden sowie mehr als 140 Verletzte, ein Tsunami wurde aber nicht gemeldet. MEHR

Neukaledonien Sehr schweres Erdbeben bei Neukaledonien

(Mittwoch, 10.02.21) Am Mittwoch hat gegen 14:20 Uhr MEZ (= 00:20 Uhr Ortszeit am Donnerstag) ein sehr schweres Erdbeben den Meeresboden bei Neukaledonien erschüttert. Das unterseeische Beben erreichte nach vorläufigen Angaben des amerikanischen Erdbebendienstes die Stärke 7,7. Das Epizentrum lag im Seegebiet zwischen Neukaledonien, Fidschi und Neuseeland, etwa 415 Kilometer östlich von Vao (ca. 2.000 Einwohner) und etwa 525 Kilometer östlich der Stadt Noumea (ca. 93.000 Einwohner), beide in Neukaledonien. Der Erdbebenherd befand sich rund 10 Kilometer unter der Oberfläche. Für die Region erfolgte vorübergehend eine Tsunamiwarnung und im Küstenort Lenakel auf der Insel Tanna im Süden von Vanuatu wurde ein 78 Zentimeter hoher Tsunami registriert, auf der neuseeländischen Great Barrier Island waren es 75 Zentimeter. Größere Schäden wurden nicht gemeldet. In der Stunde vor dem Hauptbeben ereigneten sich zwei Vorbeben der Stärke 6. MEHR

Mosambik Schwere Überschwemmungen in Mosambik

Ende Januar 2021 löste der Zyklon ELOISE weit reichende Schäden und schwere Überschwemmungen im zentralen Mosambik aus. Zahlreiche Menschen kamen ums Leben und Tausende wurden obdachlos. MEHR

Antarktis Schweres Erdbeben in Antarktisnähe

(Sonntag, 24.01.21) Am Sonntag hat gegen 00:37 Uhr MEZ (= 19:37 Uhr Ortszeit am Samstagabend) ein schweres Erdbeben den Meeresboden bei den South Shetland Islands nahe der Antarktischen Halbinsel erschüttert. Das unterseeische Beben erreichte nach vorläufigen Angaben des amerikanischen Erdbebendienstes die Stärke 7,0. Das Epizentrum lag etwa 120 Kilometer ostnordöstlich der King George Island und etwa 1075 Kilometer südöstlich von Ushuaia in Argentinien. Der Erdbebenherd befand sich 5 bis 10 Kilometer unter der Oberfläche. Größere Schäden oder ein Tsunami wurden nicht gemeldet. MEHR

Antarktis Neue Risse im Antarktiseis

Im Winter 2020/21 breitete sich zwei Jahre nach dem ersten ein zweiter Riss aus. Satellitenaufnahmen zeigten, dass er sehr rasch länger und länger wurde. Die Bildung eines sehr großen Eisbergs schien unmittelbar bevorzustehen. MEHR

Indonesien Schweres Erdbeben bei Indonesien

(Donnerstag, 21.01.21) Am Donnerstag hat gegen 13:23 Uhr MEZ (= 21:23 Uhr Ortszeit) ein schweres Erdbeben den Meeresboden nordöstlich der Talaudinseln zwischen den Philippinen und dem Nordosten Indonesiens erschüttert. Das unterseeische Beben erreichte nach vorläufigen Angaben des amerikanischen Erdbebendienstes die Stärke 7,0. Das Epizentrum lag 50 bis 80 Kilometer nordöstlich der zu Indonesien gehörenden Talaudinseln sowie etwa 230 Kilometer südsüdöstlich von Caburan (ca. 13.000 Einwohner) auf der philippinischen Insel Mindanao und etwa 310 Kilometer südöstlich der Stadt Davao (ca. 1,2 Mio. Einwohner). Der Erdbebenherd befand sich 90 bis 110 Kilometer unter der Oberfläche. Von einigen Talaudinseln wurden Schäden gemeldet, über Opfer ist nichts bekannt. MEHR

Österreich Mittelstarkes Erdbeben in Österreich

(Mittwoch, 21.01.21) Am Mittwoch hat gegen 08:30 Uhr MEZ (= Ortszeit) ein mittelstarkes Erdbeben die Ostalpen erschüttert. Das Beben erreichte nach vorläufigen Angaben des amerikanischen Erdbebendienstes die Stärke 4,1 und nach Angaben der österreichischen Zentralanstalt für Meteorologie und Geophysik (ZAMG) die Stärke 4,5. Das Epizentrum lag etwa 8 Kilometer westnordwestlich von Admont (ca. 3.000 Einwohner) und etwa 75 Kilometer südlich der Stadt Linz (ca. 204.000 Einwohner). Der Erdbebenherd befand sich rund 6 Kilometer unter der Oberfläche. Das Beben war in weiten Teilen Österreichs und in Teilen Bayerns zu spüren und in der Nähe des Epizentrums gab es leichte Schäden. MEHR





zur Homepage von Thomas Sävert